Ordinary Council: Agenda
24 February 2015 Page 1
12 February 2015
Shire of Esperance
Ordinary Council
An Agenda Briefing Session of the Shire of Esperance will be held at Council Chambers on 17 February 2015 commencing at 1pm to brief Council on the matters set out in the attached agenda.
An Ordinary Council meeting of the Shire of Esperance will be held at Council Chambers on 24 February 2015 commencing at 4pm to consider the matters set out in the attached agenda.
W M (Matthew) Scott
Chief Executive Officer
Ordinary Council: Agenda
24 February 2015 Page 2
DISCLAIMER
No responsibility whatsoever is implied or accepted by the Shire of Esperance for any act, omission or statement or intimation occurring during Council or Committee meetings. The Shire of Esperance disclaims any liability for any loss whatsoever and howsoever caused arising out of reliance by any person or legal entity on any such act, omission or statement or intimation occurring during Council or Committee meetings. Any person or legal entity who acts or fails to act in reliance upon any statement, act or omission made in a Council or Committee meeting does so at that person’s or legal entity’s own risk.
In particular and without derogating in any way from the broad disclaimer above, in any discussion regarding any planning application or application for a licence, any statement or intimation of approval made by a member or officer of the Shire of Esperance during the course of any meeting is not intended to be and is not to be taken as notice of approval from the Shire of Esperance. The Shire of Esperance warns that anyone who has any application lodged with the Shire of Esperance must obtain and should only rely on written confirmation of the outcome of the application, and any conditions attaching to the decision made by the Shire of Esperance in respect of the application.
ETHICAL DECISION MAKING AND CONFLICTS OF INTEREST
Council is committed to a code of conduct and all decisions are based on an honest assessment of the issue, ethical decision-making and personal integrity. Councillors and staff adhere to the statutory requirements to declare financial, proximity and impartiality interests and once declared follow the legislation as required.
ATTACHMENTS
Please be advised that in order to save printing and paper costs, all attachments referenced in this paper are available in the original Agenda document for this meeting.
Ordinary Council: Agenda
24 February 2015 Page 3
Disclosure of Financial, Proximity
or Impartiality InterestsAgenda Briefing ¨ Ordinary Council Meeting ¨ Both Meetings ¨
Name of Person Declaring the Interest:
![]()
Position:
Date
of Meeting:
This form is provided to enable members and officers to disclose an Interest in the matter in accordance with the regulations of Section 5.65, 5.70 and 5.71 of the Local Government Act and Local Government (Administration) Regulation 34C.
|
Interest Disclosed
Nature of Interest:
Type of Interest: Financial Proximity Impartiality
|
|||
|
Interest Disclosed
Nature of Interest:
Type of Interest: Financial Proximity Impartiality
|
|||
|
Interest Disclosed
Nature of Interest:
Type of Interest: Financial Proximity Impartiality
|
![]()
Signature: Date:
|
Office Use Only:
Officer Date |
Ordinary Council: Agenda
24 February 2015 Page 4
Declaration of
Interest (Notes for Your Guidance)
A member who has a Financial Interest in any matter to be discussed at a Council or Committee Meeting, which will be attended by the member, must disclose the nature of the interest:
a) In a written notice given to the Chief Executive Officers before the Meeting or;
b) At the Meeting, immediately before the matter is discussed.
A member, who makes a disclosure in respect to an interest, must not:
c) Preside at the part of the Meeting, relation to the matter or;
d) Participate in, or be present during any discussion or decision-making procedure relative to the matter, unless to the extent that the disclosing member is allowed to do so under Section 5.68 or Section 5.69 of the Local Government Act 1995.
Notes on Financial Interest (For your Guidance)
The following notes are a basic guide for Councillors when they are considering whether they have a Financial Interest in a matter.
1. A Financial Interest requiring disclosure occurs when a Council decision might advantageously or detrimentally affect the Councillor or a person closely associated with the Councillor and is capable of being measured in money terms. There are expectations in the Local Government Act 1995 but they should not be relied on without advice, unless the situation is very clear.
2. If a Councillor is a member of an Association (which is a Body Corporate) with not less than 10 members i.e sporting, social, religious ect, and the Councillor is not a holder of office of profit or a guarantor, and has not leased land to or from the club, i.e, if the Councillor is an ordinary member of the Association, the Councillor has a common and not a financial interest in any matter to that Association.
3. If an interest is shared in common with a significant number of electors and ratepayers, then the obligation to disclose that interest does not arise. Each case need to be considered.
4. If in doubt declare.
5. As stated in (b) above, if written notice disclosing the interest has not been given to the Chief Executive Officer before the meeting, then it must be given when the matter arises in the Agenda, and immediately before the matter is discussed.
6. Ordinarily the disclosing Councillor must leave the meeting room before discussion commences. The only exceptions are:
6.1 Where the Councillor discloses the extent of the interest, and Council carries a motion under s.5.68(1)(b)(ii) of the Local Government Act; or
6.2 Where the Minister allows the Councillor to participate under s.5.69(3) of the Local Government Act, with or without conditions.
Interests Affecting Proximity
1) For the purposes of this subdivision, a person has a proximity interest in a matter if the matter concerns;
a) a proposed change to a planning scheme affecting land that adjoins the person’s land;
b) a proposed change to the zoning or use of land that adjoins the person’s land; or
c) a proposed development (as defined in section 5.63(5)) of land that adjoins the person’s land.
2) In this section, land (the proposal land) adjoins a person’s land if;
a) The proposal land, not being a thoroughfare, has a common boundary with the person’s land;
b) The proposal land, or any part of it, is directly across a thoroughfare from, the person’s land; or
c) The proposal land is that part of a thoroughfare that has a common boundary with the person’s land.
3) In this section a reference to a person’s land is a reference to any land owned by the person or in which the person has any estate or interest.
Interests Affecting Impartiality
Definition: An interest that would give rise to a reasonable belief that the impartiality of the person having the interest would be adversely affected, but does not include an interest as referred to in Section 5.60 of the ‘Act’.
A member who has an Interest Affecting Impartiality in any matter to be discussed at a Council or Committee Meeting, which will be attended by the member, must disclose the nature of the interest;
a) In a written notice given to the Chief Executive Officers before the Meeting or;
b) At the Meeting, immediately before the matter is discussed.
Impact of an Impartiality Closure
There are very different outcomes resulting from disclosing an interest affecting impartiality compared to that of a financial interest. With the declaration of a financial interest, an elected member leaves the room and does not vote.
With the declaration of this new type of interest, the elected member stays in the room, participates in the debate and votes. In effect then, following disclosure of an interest affecting impartiality, the member’s involvement in the Meeting continues as if no interest existed.
THIS PAGE HAS INTENTIONALLY BEEN LEFT BLANK
Ordinary Council: Agenda
24 February 2015 Page 7
TABLE OF CONTENTS
3. APOLOGIES & NOTIFICATION OF GRANTED LEAVE OF ABSENCE
4. APPLICATIONS FOR LEAVE OF ABSENCE
5. ANNOUNCEMENTS BY THE PERSON PRESIDING WITHOUT DISCUSSION
6. DECLARATION OF MEMBERS INTERESTS
6.1 Declarations of Financial Interests – Local Government Act Section 5.60a
6.2 Declarations of Proximity Interests – Local Government Act Section 5.60b
6.3 Declarations of Impartiality Interests – Admin Regulations Section 34c
8. PUBLIC ADDRESSES / DEPUTATIONS
11. DELEGATES’ REPORTS WITHOUT DISCUSSION
12. MATTERS REQUIRING A DETERMINATION OF COUNCIL
12.1 External Services - Statutory Division
12.1.2 Request for Management Order for Reserve 24486
12.1.3 Development Application - External Roller Shutters - S/L 5 (85B) Dempster Street, Esperance
12.1.4 Local Planning Scheme No. 23 Amendment 18
12.2 External Services - Commercial Division
12.2.1 Flinders Subdivision Stage 3
12.3 External Service - Community Division
12.3.1 Appointment of Community and non Council Members to Off Road Vehicle Working Party
12.3.2 Disability Access and Inclusion Plan - Amendment Outcome 7
12.3.3 Community Grants Program 2015-2016
12.3.4 Community Grants Program - Activity Program Allocations
12.4.1 RFQ 14-14 Replacement of a 8-Wheel Tip Truck
12.4.2 RFQ 15-14 Replacement of a 8-Wheel Tip Truck
12.5.1 Financial Services Report - January 2015
12.6.1 Information Bulletin - February 2015
14. Motions of which Notice has been Given
15. MEMBERS QUESTIONS WITH OR WITHOUT NOTICE
16. URGENT BUSINESS APPROVED BY DECISION
17. MATTERS BEHIND CLOSED DOORS
17.1 Proposed Sale of Shire Property - Lot 340 (6) Adelaide Close, West Beach
17.3 Waste Management Facility Site Selection Study
Ordinary Council: Agenda
24 February 2015 Page 9
SHIRE OF ESPERANCE
AGENDA
Ordinary
Council Meeting
TO BE HELD IN Council Chambers ON 24 February 2015
COMMENCING AT 4pm
1. OFFICIAL OPENING
2. ATTENDANCE
Members
Cr M Heasman President Town Ward
Cr V Brown Deputy President Rural Ward
Cr N Bowman Rural Ward
Cr P Griffiths Town Ward
Cr K Hall Town Ward
Cr L McIntyre Town Ward
Cr R Horan Town Ward
Cr B Stewart, JP Town Ward
Cr B Parker Rural Ward
Shire Officers
Mr W M (Matthew) Scott Chief Executive Officer
Mr S Burge Director Corporate Resources
Mr G Harris Director Asset Management
Mr R Hilton Executive Manager - Community Division
Mr R Hindley Executive Manager - Statutory Division
Mr T Ayres Executive Manager - Commercial Division
Mrs H Hall Executive Assistant
Miss S Fitzgerald Trainee Administration Officer
Members of the Public & Press
3. APOLOGIES & NOTIFICATION OF GRANTED LEAVE OF ABSENCE
4. APPLICATIONS FOR LEAVE OF ABSENCE
5. ANNOUNCEMENTS BY THE PERSON PRESIDING WITHOUT DISCUSSION
6. DECLARATION OF MEMBERS INTERESTS
6.1 Declarations of Financial Interests – Local Government Act Section 5.60a
6.2 Declarations of Proximity Interests – Local Government Act Section 5.60b
6.3 Declarations of Impartiality Interests – Admin Regulations Section 34c
7. PUBLIC QUESTION TIME
8. PUBLIC ADDRESSES / DEPUTATIONS
9. Petitions
10. CONFIRMATION OF MINUTES
|
That the Minutes of the Ordinary Council Meeting of the 27 January 2015 be confirmed as a true and correct record. Voting Requirement Simple Majority |
11. DELEGATES’ REPORTS WITHOUT DISCUSSION
12. MATTERS REQUIRING A DETERMINATION OF COUNCIL
12.1 External Services - Statutory Division
Proposed Heritage Registration - Esperance Fish Cannery - P5056 Old Fish Cannery Portion of Lot 1018 Norseman Road, Chadwick
|
Author/s |
Richard Hindley |
Executive Manager - Statutory Division |
|
Authorisor/s |
Matthew Scott |
Chief Executive Officer |
File Ref: D14/23334
Applicant
State Heritage Office on Behalf of the Heritage Council
Location/Address
Portion of Lot 1018 Norseman Road, Chadwick

Executive Summary
To support the proposed registration of a portion of the Esperance Fish Cannery (former) (HCWA Ref: P5056) consisting of the former Esperance Fish Cannery in the State Register of Heritage Places.
Recommendation in Brief
That Council
1. Support the proposed registration of the Esperance Fish Cannery (former) (HCWA Ref: P5056) as shown in Attachment B in the State Register of Heritage Places.
2. Advise Heritage Council of Western Australia accordingly of such support and reaffirm that the Shire of Esperance wishes to attend the Heritage Council meeting during which the proposed registration of the Esperance Fish Cannery (HCWA Ref: P5056) will be considered.
Background
A member of the public nominated the Esperance Fish Cannery as having heritage significance to the Heritage Council of Western Australia.
The proposed heritage listing of the Esperance Fish Cannery (former) was considered by Council at is July 2014 meeting (O0714-037) where it resolved:
That Council
1. Does not support the proposed registration of Lot 1018 (Reserve 34219) on Deposited Plan 28537, Esperance Fish Cannery (HCWA Ref: P5056) and being the whole of the land comprised in Crown Land Title Volume 3125 Folio 357 in the State Register of Heritage Places.
2. Requests that consideration of the registration of HCWA Ref: P5056 in the State Register of Heritage Places be deferred until such time as the Heritage Council of Western Australia has consulted with the Shire of Esperance and all relevant stakeholders.
3. Advise Heritage Council of Western Australia accordingly of such comments and confirm that if the proposal is presented to a Heritage Council meeting and consideration is not deferred then the Shire of Esperance wishes to attend the meeting during which the proposed registration of the Esperance Fish Cannery (HCWA Ref: P5056) will be considered.
In light of the concerns that were raised by Council, the Heritage Council have decided to reduce the curtilage of Esperance Fish Cannery (former) to just the former cannery building and a small surrounding buffer. This curtilage boundary excludes most of the areas previously considered to be of secondary significance, such as the studio, the lookout, the two houses and a large area of bush land. The remainder of the site will be outside of the proposed heritage listing.
Officer’s Comment
The Esperance Fish Cannery is a single storey brick and corrugated iron utilitarian building in the Post-War International style and has been assessed by the Heritage Council as having cultural heritage significance for the following reasons:
· the place is rare as an extant example of a fish cannery in Western Australia;
· the place is representative of the State and Commonwealth governments' policies of post-war reconstruction through the decentralisation of industries;
· the place contributes to the understanding of the development of fishing and fish processing in Western Australia, particularly from the 1940s in relation to the improved understanding of Western Australia's fishing grounds, and the use of modern technologies and processing techniques;
· the place demonstrates the re-use of ex-army equipment such as Tiger Moth planes, Blitz trucks, Bren Carriers and camouflage nets for peacetime production and industry; and,
· the place was established by Daniel Samuel Hunt, who established a number of fish canneries throughout Western Australia in the late-1940s, and who has been recognised for having a significant and positive impact upon Western Australia's fish canning industry in the post-World War II period.
The criteria adopted by the Heritage Council in November 1996 were used to determine the cultural heritage significance of the former Esperance Fish Cannery.
The Heritage Council have advised that an efficient way to deal with referrals from Local Government bodies is the development of a Conservation Management Plan which identifies and prioritises major maintenance and repair works. Please note this process is not compulsory but is in place to speed up the approval process for Local Governments. Funding for a conservation plan may be available through Lotterywest’s Grants Program.

The Esperance Fish Cannery is located within a planning precinct commonly known as Middletown that the Local Planning Strategy (2010) indentifies as ‘Precinct 6 - CSBP and Brazier Street’. The planning strategy for the precinct is that if industrial uses relocate out of the precinct, then an outline development plan will be prepared for the precinct in accordance with the objectives of this strategy. The Shire is currently undertaking a project to investigate, through a desk top review of information, the constraints and opportunities relevant to achieving the management strategies for Precinct 6 as set out in the Local Planning Strategy (2010) which are:
· Provide for the long term redevelopment of the area for residential purposes,
· Facilitate the redevelopment of the precinct as a mixed use precinct incorporating regional open space and a variety of residential and urban uses to capitalise on the proximity of the precinct to the Esperance CBD
The registration of a portion of Lot 1018 by the Heritage Council is unlikely to prejudice the future redevelopment of the Middletown area as the site may be in a future development exclusion area due to potential inundation by storm level tides at a 0.2% annual encounter probability (AEP) over the planning horizon of 100 years.
State Planning Policy 2.6 – State Coastal Planning Policy (SPP 2.6) requires consideration be given to coastal hazards and vulnerability. This policy also mandates the consideration of a 0.9m sea level rise by 2110. The draft Esperance Coastal Hazard and Vulnerability Assessment takes into account local conditions and the requirements of SPP 2.6. By 2110, Lot 1018 falls in area determined as having a high risk from storm erosion, recession due to sea level rise, historical long term recession and a medium risk of coastal inundation.

The Heritage Council has advised that:
The potential risk of storm erosion to the Cannery does not negate its cultural significance, nor does it mean that registration is inappropriate.
If the building sustained damage as a result of a severe weather event, such as a storm surge, the Shire could determine there was no prudent or feasible alternative to demolition, having first sought the advice of the Heritage Council. If the building was destroyed, reconstruction would not be consistent with the principles of the Burra Charter and is unlikely to be requested by the Heritage Council.
A decision on whether or not to enter a place in the State Register of Heritage Places is made solely on the basis of whether or not the place has sufficient cultural heritage to warrant the protection of the Heritage of Western Australia Act 1990. The Minister for Heritage will consider the owner and/or local government’s comments – both support and otherwise – and will make a final decision accordingly.
All proposed works (excluding some maintenance works if they are minor in nature as determined under regulation) are required to be referred to the Heritage Council for heritage-related advice to ensure such works are done with care and sensitivity to the heritage values of the place.
The Shire is currently responsible for structural maintenance, renewal and insurance. The heritage listing of the Esperance Fish Cannery (former) on Lot 1018 Norseman Road will not result in an increase of the Shires responsibilities regarding structural maintenance, renewal and insurance.
That said Entry in the State Register does not mean that owners have to increase maintenance. Under the Heritage Act, the Heritage Council cannot force an owner to do works.
The Heritage Council has provided the following statistics showing that the works that need be referred to the Heritage Council and a general indication of the time taken to assess requests.
If the Cannery is entered in the State Register, then any development works beyond day-to-day maintenance and some minor works are required to be referred to the Heritage Council under the Heritage of Western Australia Act 1990.
The majority of development referrals that are submitted to the State Heritage Office are dealt with within 30 days (90%) and determined by officers under delegation (91%).
It should also be noted that the required date for a response was the 16 July 2014. The State Heritage Office has advised that this was in error. The matter will not be presented to the Heritage Committee until a response is received from the Shire.
Representatives of the State Heritage Office, Graeme Gammie – Executive Director and Sian Ferraz – Senior Heritage Officer, have attended a briefing with Council to discuss the process of heritage listing and specific details of the current proposal.
Options
Option 1
That Council
1. Support the proposed registration of the Esperance Fish Cannery (former) (HCWA Ref: P5056) in the State Register of Heritage Places.
2. Advise Heritage Council of Western Australia accordingly of such endorsement and reaffirm that the Shire of Esperance wishes to attend the Heritage Council meeting during which the proposed registration of the Esperance Fish Cannery (HCWA Ref: P5056) will be considered.
This is the officer’s recommendation for the reasons outlined within this report with specific reference to the reduced area proposed to be listed and the assessed heritage value of the premise.
Option 2
That Council
1. Does not support the proposed registration of the Esperance Fish Cannery (former) (HCWA Ref: P5056) in the State Register of Heritage Places.
2. Advise Heritage Council of Western Australia accordingly of such comment and reaffirm that the Shire of Esperance wishes to attend the Heritage Council meeting during which the proposed registration of the Esperance Fish Cannery (HCWA Ref: P5056) will be considered.
Consultation
Council Briefing with representatives of Heritage Council of Western Australia
Development Compliance Team
Asset Management
Financial Implications
Owners of registered places have the ability to apply for funding assistance to help maintain and conserve such places through grant programs offered by the HCWA, Lotterywest and the Commonwealth Government. Irrespective of this potential funding there will be costs associated with the development of a conservation plan (not mandated) as well as any required maintenance.
Asset Management Implications
The Building Hierarchy currently identifies the Cannery Art Centre Gallery as a ‘G; in the Building Hierarchy. The Shire is responsible for structural maintenance, renewal and insurance. The heritage listing of the Esperance Fish Cannery (former) will not have an impact on the hierarchy of the building.
Statutory Implications
Heritage of Western Australia Act 1990
Policy Implications
Nil
Strategic Implications
Strategic Community Plan 2012-2022
Social
1.2 Create a vibrant built environment that is accessible and inclusive and reflects the Shire’s identity and local heritage
Environmental Considerations
Nil
|
a. |
Proposed Registration - P5056 Old Fish Cannery |
|
|
b. |
Area subject to Proposed Heritage Listing |
|
|
That Council 1. Support the proposed registration of the Esperance Fish Cannery (former) (HCWA Ref: P5056) as shown in Attachment B in the State Register of Heritage Places. 2. Advise Heritage Council of Western Australia accordingly of such support and reaffirm that the Shire of Esperance wishes to attend the Heritage Council meeting during which the proposed registration of the Esperance Fish Cannery (HCWA Ref: P5056) will be considered. Voting Requirement Simple majority
|
24 February 2015 Page 43
Request for Management Order for Reserve 24486
|
Author/s |
Richard Hindley |
Executive Manager - Statutory Division |
|
Authorisor/s |
Matthew Scott |
Chief Executive Officer |
File Ref: D15/1625
Applicant
Water Corporation
Location/Address
Reserves 24486 and 4180

Executive Summary
For Council to support the granting of a Management Order for Reserve 24486 to the Water Corporation and to consider the transferring of Reserve 4180 to the Water Corporation.
Recommendation in Brief
That Council:
1. Support the granting of a Management Order for a portion of Reserve 24486 to the Water Corporation as delineated on Attachment A; and
2. Negotiate with the Water Corporation to accept the Management Order for the portion of Reserve 4180 as delineated on Attachment A and if accepted by Water Corporation agree to relinquish its Management Order over that portion and have it assigned to the Water Corporation under Section 46 of the Land Administration Act 1997.
Background
The Water Corporation has approached the Shire of Esperance seeking support for the allocation of the Management Order for Reserve 24486. This reserve is currently an unmanaged reserve located within the Esperance Water Reserve Drinking Water Source Area.
Officer’s Comment
Reserve 24486 is an unmanaged reserve that is located within the Esperance Water Reserve Drinking Water Source Protection Plan for Esperance Town Water Supply. The use of the land is significantly constrained other than for land uses that are consistent with the Priority One classification of the Reserve.
Reserve 4180 is a reserve managed by the Shire of Esperance. This reserve is also located within the Priority One area of the Esperance Water Reserve Drinking Water Source Protection Plan for Esperance Town Water Supply.
It should also be noted that the Shire of Esperance has developed a series of coastal steps, a pathway and parking areas within Reserve 24486.
The Water Corporation has developed 3 bores within Reserve 24486 and the future expansion of the bore field will occur within this reserve. A further 13 bores are located within Reserve 4180. Given the location of bores within Reserve 4180 it was considered appropriate to consider transferring the management order to the Water Corporation.
In transferring these reserves it was considered appropriate to retain the portions of both reserves to the South of Twilight Beach Road due to the level of Shire infrastructure that has been developed in this area. It is also considered that the area containing the trail between Twilight Beach and Pink Lake should also be managed by the Shire of Esperance.

The Coastal Management Plan as adopted by Council states:
Reserve 24486 near the town is currently unallocated and thus not officially managed by the Shire, even though Shire facilities exist at these coastal locations. This section of coast comprises some popular coastal recreation nodes as well as Shire-installed/managed infrastructure. It is recommended that the Shire seek a Management Order for this reserve.
This Plan contains the action:
CT1 Seek management of unallocated reserves
The proposal to have Management of a portion of Reserve 24486 given to the Shire of Esperance has been considered by Water Corporation who have advised “The Region would have no objection to the Shire of Esperance having control of the land as shown in dark red and dark blue on the plan”
There are common Native Title considerations that apply to both reserves. Under the Native Title Determination for Claim Reference WAD 6097 of 1998, Reserves 4180 and 24486 are included within Schedule Five – Other Interests. Where there is a change to the purpose of the reserve or a transfer of a Management Order there may be a Native Title interest that will need to be considered.
Consultation
Land Use Team - The matter was considered by the Land Use Team and supported.
Executive Management Team - The recommendation of the Land Use Team was considered by the Executive Management Team and supported.
Financial Implications
The firebreaks on the subject reserves currently account for approximately 20% of the Shires annual firebreak budget (total budget is $50,000). This money can be reassigned to the remainder of the firebreak program.
Asset Management Implications
Nil
Statutory Implications
Land Administration Act 1997
Native Title Act 1993 (Commonwealth)
Policy Implications
Coastal Management Plan
Strategic Implications
Strategic Community Plan 2012-2022
Environment
2.7 Plan for and adapt to changes in our climate and the impacts of increased water and energy vulnerability
Environmental Considerations
Reserves 4180 and 24486 are located in the Priority One Area established under the Esperance Water Reserve Drinking Water Source Protection Plan for Esperance Town Water Supply.
|
a. |
Plan Showing Proposed Modifications to Reserve Management Orders |
|
|
Officer’s Recommendation That Council: 1. Support the granting of a Management Order for a portion of Reserve 24486 to the Water Corporation as delineated on Attachment A; and 2. Negotiate with the Water Corporation to accept the Management Order for the portion of Reserve 4180 as delineated on Attachment A and if accepted by Water Corporation agree to relinquish its Management Order over that portion and have it assigned to the Water Corporation under Section 46 of the Land Administration Act 1997. Voting Requirement Simple majority
|
24 February 2015 Page 48
Development Application - External Roller Shutters - S/L 5 (85B) Dempster Street, Esperance
|
Author/s |
Peter Wilks |
Town Planning Officer |
|
Authorisor/s |
Richard Hindley |
Executive Manager - Statutory Division |
File Ref: D15/3483
Applicant
Dicks Electronics Esperance on behalf of Benji Holdings Pty Ltd

Location/Address
Strata Lot 5 (85B) Dempster Street, Esperance
Executive Summary
To consider and determine an application for Roller Shutters on Strata Lot 5 (85B) Dempster Street, Esperance.
Recommendation in Brief
That Council refuse Development Application 10.2015.2781.1 for Roller Shutters at Strata Lot 5 (85B) Dempster Street, Esperance.
Background
An application was received by Planning Services on 21 January 2015 for the erection of Roller Shutters on the frontage of the Dicks Electronics store identified as Strata Lot 5 (85B) Dempster Street, Esperance. The justification for the erection of the roller shutters is due to the business suffering repeated break ins and the need for additional security.
The subject lot is 2,125m2 and is zoned Central Area under Local Planning Scheme No. 23. The existing development on-site comprises a single storey retail building with multiple shops under strata.
The applicant has indicated that the three roller shutters proposed will cover the windows and door as per the mock up pictured below.
![]() |
The applicant has also indicated that the only time in the next six months that the appropriate contractors are available to construct the roller shutters is around 15 February 2015, and as such by the time this item reaches Council the roller shutters may already be in placed. The applicant has been made aware that if Council resolves to refuse the development application that the roller shutters will have to be removed.
Officer’s Comment
Generally the proposal complies with the relevant provisions of Local Planning Policy: Shop Front Security Devices, with the exception of the following provision:
“Solid, opaque or visually impermeable shop front security devices will not be permitted.”
The applicant has submitted their justification for the roller shutter security devices, stating:
“We plan to have roller shutters installed for security reasons, we are broken into through the front doors/windows regularly, in most cases we have in excess of $12,000 of goods stolen, and approx $1,500 in damages to glass windows and cabinets.
Our insurer Elders Insurance Ltd will not increase our theft cover above $10,000 without shutters or similar security device installed. We already have a high end CCTV system & 24h monitored intruder alarm installed.
The shutters will be up/open during business hours, 9am-5pm Mon-Fri, 9am-12noon Sat, and will only be closed/down when all customers have vacated the building the store has ceased trading for the day.
The building has two points of entry/exit, front and rear. Staff enter and exit the store via the rear door.”
As the proposed development does not comply with the requirements of Local Planning Policy: Shop Front Security Devices in so far as the requirement for visually permeable security devices to be used it is recommended that the development be refused.
Options
Option 1
That Council refuse Development Application 10.2015.2781.1 submitted by Dicks Electronics Esperance for Roller Shutters on Strata Lot 5 (85B) Dempster Street, Esperance, for the following reason:
The proposed development is inconsistent with the provisions of Local Planning Policy: Shop Front Security Devices as solid, opaque or visually impermeable shop front security devices are not permitted.
And the following advice note:
If an applicant is aggrieved by this determination there is a right of review by the State Administrative Tribunal in accordance with Part 14 of the Planning and Development Act 2005. An application for review must lodged within 28 days of the determination.
This is the officers recommendation as the proposed development is contrary to an adopted Local Planning Policy.
Option 2
That Council:
1. Approve Development Application 10.2015.2781.1 submitted by Dicks Electronics Esperance for Roller Shutters on Strata Lot 5 (85B) Dempster Street, Esperance, subject to the following condition:
a) Development shall be carried out and fully implemented in accordance with the details on the stamped approved plan(s) unless otherwise required or agreed in writing by the Shire of Esperance (Planning Services).
b) The provision of all services, including augmentation of existing services, necessary as a consequence of any proposed development shall be at the cost of the developer and at no cost to the Shire of Esperance.
And the following advice notes:
a) THIS IS NOT A BUILDING PERMIT. In accordance with the provisions of the Building Act 2011, an application for a building permit may be required to be submitted and approved by the Shire of Esperance (Building Services) prior to any works commencing on-site.
b) If the development the subject of this approval is not substantially commenced within a period of 2 years, or other such period as specified in the approval after the date of determination, the approval shall lapse and be of no further effect.
c) Where an approval has so lapsed, no development shall be carried out without the further approval of the local government having first been sought and obtained.
d) If an applicant is aggrieved by this determination there is a right of review by the State Administrative Tribunal in accordance with Part 14 of the Planning and Development Act 2005. An application for review must lodged within 28 days of the determination.
2. Instruct the CEO to review the Local Planning Policy: Shop Front Security Devices
Consultation
Nil
Financial Implications
Nil
Asset Management Implications
Nil
Statutory Implications
The statutory implications associated with this item are:
Planning and Development Act 2005; and
Local Planning Scheme No. 23.
Policy Implications
The policy implications arising from this report are:
1. Local Planning Policy: Shop Front Security Devices.
Strategic Implications
Strategic Community Plan 2012 - 2022
Economic
3.8 Facilitate and guide high quality and efficient building and development across the Shire
A community with high quality and efficient buildings and development
Environmental Considerations
Nil
|
a. |
Plans and Justification |
|
|
That Council refuse Development Application 10.2015.2781.1 submitted by Dicks Electronics Esperance for Roller Shutters on Strata Lot 5 (85B) Dempster Street, Esperance, for the following reason: The proposed development is inconsistent with the provisions of Local Planning Policy: Shop Front Security Devices as solid, opaque or visually impermeable shop front security devices are not permitted. And the following advice note: If an applicant is aggrieved by this determination there is a right of review by the State Administrative Tribunal in accordance with Part 14 of the Planning and Development Act 2005. An application for review must lodged within 28 days of the determination. Voting Requirement Simple Majority
|
24 February 2015 Page 55
Local Planning Scheme No. 23 Amendment 18
|
Author/s |
Peter Wilks |
Town Planning Officer |
|
Authorisor/s |
Richard Hindley |
Executive Manager - Statutory Division |
File Ref: D15/3507
Applicant
Whelans Town Planning on behalf of K H S and J M Beale
Location/Address
Pt Lot 35 Merivale Road, Myrup

Executive Summary
For Council to consider initiating Amendment No. 18 to Local Planning Scheme No. 23 for the rezoning of part of Lot 35 Merivale Road, Myrup from “Agriculture – General” to “Special Use 5”.
Recommendation in Brief
That Council resolve to initiate Amendment No. 18
Background
Notice of Final Approval of the Shire of Esperance Local Planning Scheme No. 23 (‘the Scheme’) was published in the Government Gazette on 19 February 2010.
Under the Scheme, Lot 35 Merivale Road, Myrup is currently zoned “Agriculture - General” and is partially located within Special Control Area No. 5 – Wetland of Significance and Lake Warden Recovery Catchment.
Whelans Town Planning lodged a submission detailing the proposed amendment for preliminary advice on 6 November 2014.
The amendment was formally lodged on 14 January 2015, and is now being presented to Council for initiation.
Planning Approval was granted for the construction of Stonehenge on 15 November 2010. Construction was completed on 26 October 2011 and has operated as a tourism facility since.
Officer’s Comment
The amendment site comprises 435 hectares of agricultural land, including the Stonehenge tourist site. The proposal calls for the rezoning of approximately 90 hectares of the site to Special Use 5 to allow for subdivision of the site.
The proposed 90 hectare Special Use 5 zone designed to support continued operation of the existing tourist development at Stonehenge, and also to support future expansion of tourist operations either by the existing operator or by another private operator.
The site is located in Precinct 50 – Myrup under the Local Planning Strategy. Advice received from the Department of Planning indicated that they would not support any further subdivision of agricultural properties in the area under the Local Planning Strategy, despite the median lot size in the area being 45 hectares, and the Local Planning Strategy stating that:
Strategies
· Support subdivision only where it will assist the objectives of the catchment recovery. Design of subdivisions should take account of existing creek, drainage and ridgelines, as well as the location of any wetlands or lakes.
Actions
· Subdivision of land may be supported in very exceptional cases where the applicant can demonstrate conservation of remnant vegetation or significant rehabilitation measures.
· All lots created must have access to a gazette road and battleaxe lots will not be supported.
· Apply conservation covenants to any new lots.
The proposed rezoning will provide sufficient rationale to allow for the tourist operations of Stonehenge to be split off from the existing agricultural land use, and put towards dedication tourism uses, whilst the remainder of the site retains it’s “Agriculture - General” zoning.
Consultation
A 42 day advertising period applies for amendment which will commence upon receipt of comments from the EPA.
Financial Implications
$5,100 worth of application fees were received as part of this amendment.
Asset Management Implications
Nil
Statutory Implications
The statutory implications associated with this item are:
· Planning and Development Act 2005
· Town Planning Regulations 1967
· Local Planning Scheme No. 23
Policy Implications
The policy implications arising from this report are:
· Local Planning Strategy
Strategic Implications
Strategic Community Plan 2012 - 2022
Economic
3.8 Facilitate and guide high quality and efficient building and development across the Shire
A community with high quality and efficient buildings and development
Environmental Considerations
Nil
|
a. |
Amendment 18 Documentation - Under Separate Cover |
|
|
That Council, pursuant to Section 75 of the Planning and Development Act 2005 resolve to: 1. Initiate Local Planning Scheme No. 23 – Amendment No. 18. 2. Amend Local Planning Scheme No. 23 by: i. Rezoning of Pt Lot 35 Merivale Road, Myrup, from “Agriculture – General” zone to “Special – Use”; and ii. In the table contained in Schedule 4, after Special Use Zone 4 (SU4) insert the following:
3. Refer Amendment No. 18 to the EPA under Section 81 of the Planning and Development Act 2005. 4. Determine that Local Planning Scheme No. 23 – Amendment No. 18 is consistent with the criteria listed under Section 25(2) of the Town Planning Regulations and resolve to proceed to advertising of the amendment for public inspection after referral to the EPA. Voting Requirement Simple Majority
|
24 February 2015 Page 60
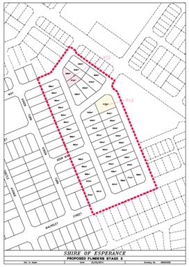
12.2 External Services - Commercial Division
Flinders Subdivision Stage 3
|
Author/s |
Trevor Ayers |
Executive Manager Commercial Division |
|
Authorisor/s |
Matthew Scott |
Chief Executive Officer |
File Ref: D15/3629
Applicant
Internal
Location/Address

Executive Summary
The statutory business plan for the proposed Stage 3 of Flinders (as attached) has now been advertised for public comment. At the closure of this comment period no submissions were received. Council approval is sought to proceed with obtaining Western Australian Planning Commission (WAPC) approval for the subdivision.
Recommendation in Brief
That Council endorse the statutory business plan and delegate authority to the CEO to seek subdivision approval from the WAPC.
Background
At the June 2015 Ordinary Council Meeting, Council made the following resolution.
That Council requests the CEO to proceed with preparing sub-division plans and business cases for:
a) Further sub-dividing Lot 290 Tribune Parade (to deliver high quality townhouse lots),
b) Flinders Stage 3, as identified on the attached map (Proposed New Sub-division Areas).
On the 25 November 2015 the statutory business plan was presented to Council as the first step in acting on point a) of the above resolution (design work on point b) is still being progressed at this time), with the following resolution resulting:
That Council:
1. Endorse the amended Flinders Subdivision Stage 3 Business Plan for advertising.
2. Confirm the closing date for submissions as the end of business on the 16 January 2015
As at the close of the submission period no submissions have been received.
Officer’s Comment
With no submissions being received the business plan is now re-presented to Council to enable final endorsement to be given to enable progression of this stage to continue.
Consultation
Submissions on the business plan were called for through advertising in both State and Local newspapers on the 3 December 2014.
Following Executive Manager Statutory Division has had input into the formulation of the Officer’s Recommendation.
Financial Implications
Council currently has $300,000 allocated towards the development of Flinders. Obtaining subdivision approval is estimated to cost just under $6,000.
Asset Management Implications
N/A
Statutory Implications
The statutory implications associated with this item are contained within:
Local Government Act 1995
Section 3.59 Commercial Enterprises by Local Governments
Policy Implications
Nil
Strategic Implications
Strategic Community Plan 2012 - 2022
Civic Leadership
Be innovative in the management of Shire operations, services, staff and resources to create a resilient and financially stable Shire
Environmental Considerations
Nil
|
a. |
Flinders Stage 3 Statutory Business Plan - Under Separate Cover |
|
|
That Council 1. Endorse the attached Statutory Business Plan for Flinders Stage 3. 2. Delegate authority to the CEO to complete all necessary actions to seek subdivision approval from the Western Australian Planning Commission. Voting Requirement Simple Majority
|
24 February 2015 Page 63
12.3 External Service - Community Division
Appointment of Community and non Council Members to Off Road Vehicle Working Party
|
Author/s |
Rod Hilton |
Executive Manager Community Division |
|
Authorisor/s |
Matthew Scott |
Chief Executive Officer |
File Ref: D15/1856
Applicant
Internal
Location/Address
Off Road Vehicle Working Party
Executive Summary
To appoint members to the Off Road Vehicle Working Party.
Recommendation in Brief
That Council appoints the following persons to the Shire of Esperance Off Road Vehicle Working Party:
1. Esperance Police Service - Senior Sergeant Richard Moore with Sergeant James Reid as deputy.
2. Department of Parks and Wildlife - Robert Blok with Ian Hughes as deputy
3. Community Representatives (4) – Brett Thorp; Tim Hawkey; Jessica Jolley; and Kristy Walsh; with Ian Hartley as deputy for any community representative unable to attend a meeting
4. Requests the CEO to convene a meeting of the Working Party to be held during March 2015
Background
At the December 16th 2014 Council meeting the following resolution was made (O1214-001):
That Council:
1. Establishes the Off Road Vehicle Working Party as an advisory committee to make recommendations to the Council regarding the sustainable use of off road recreational vehicles on land within the Shire of Esperance; and
2. Endorses the attached Terms of Reference for the Off Road Vehicle Working Party; and
3. Appoints the following persons and office holders to the Off Road Vehicle Working Party:
3.1. Shire of Esperance
Cr Parker;
Cr Horan;
Cr McIntyre; (as deputy)
3.2. South Coast Natural Resource Management -
Coastal, Marine & Water Program Leader
4. Invites the following organizations to nominate a representative to become a member of the Off Road Vehicle Working Party:
Esperance Police Service
Department of Parks & Wildlife
5. Advertises for four (4) community representatives to become members of the Off Road Vehicle Working Party.
Letters were sent to the Esperance Police and Department of Parks and Wildlife inviting each organisation to nominate a representative and a deputy for appointment to the working party. The four community positions were advertised in the Esperance Express with nominations closing on 17th January 2015.
Officer’s Comment
At the closure of the nomination period the following nominations were received:
Esperance Police Service:
Senior Sergeant Richard Moore; (Deputy Sergeant James Reid)
Department of Parks and Wildlife:
Rob Blok; (Deputy Ian Hughes)
Community Representatives:
Brett Thorp: active user of registered and unregistered off road vehicles, experience on local boards and committees
Tim Hawkey: owner of Powerplant Motorcycles, active on motorcycle and motocross committees, active user of registered vehicles and unlicensed motorcycles on beaches and coastlines.
Kristy Walsh: active licensed off road vehicle and motorcycle user, administrator of Esperance 4 x 4 and 4 x 4 treks face book groups.
Ben Pratt: resident concerned for the safety of beach users and sympathetic towards the use of off road vehicles
Paul Mack: experience in organising and competing in off road motor sports, motorcycle instructor.
Nigel Walker: active user of dirt bikes and 4 x4’s on beaches.
Ian Hartley: active user of 4 x 4’s, advocate for off road tourism, conservation and safety.
Jessica Jolly: founder & President of Esperance 4wd Adventures Group
Wendy Royle: as owner of Duke of Orleans Caravan Park has been required to manage off road vehicles in park and surrounds.
There being nine nominations for four community vacancies on the Working Party Council is required to select four representatives whom it believes to be the most suitable persons to appoint to the Working Party.
Following discussion at the 27th January Councillor briefing session it was agreed that Cr’s Parker, Horan and McIntyre review the Community applicants and make a recommendation to Council on whom they believe would be the most appropriate community representatives.
Cr’s Parker and McIntyre (Cr Horan was an apology) reviewed the applicants with the Executive Manager Community Division on the 10th February and have recommended the following persons be appointed as community representatives on the Off Road Vehicle Working Party:
Brett Thorp – as an active user of registered and unregistered off road vehicles including motorcycles, quad bikes and ATV’s with a network of contacts within the business community
Tim Hawkey – as a member of the Esperance Motorcycle and Motocross Clubs and retailer of motorcycles with a network of contacts across the motorcycle fraternity.
Jessica Jolley – as an active user of registered 4 x 4 vehicles and a facilitator of off road 4 x 4 adventure activities through a club comprising 418 members from Esperance, Kalgoorlie, Ravensthorpe, Albany and Perth.
Kristy Walsh – as an active user of registered 4 x 4 vehicles and administrator of a Facebook page promoting off road vehicle activities in Esperance with over 600 contacts, and Joey Scouts involvement to educate children.
It was also considered that a deputy be appointed to represent any community member unable to attend any meetings. Ian Hartley as an active 4 x4 user was considered to offer a mix of conservation, safety and tourism interests to the Working Party.
Consultation
Advertising for nominations was placed in the Esperance Express Council Connection page and by Press Release from the Shire President on 17th December 2014.
Nominations were reviewed and discussed by councilors at the 27th January 2015 Council briefing session, where it was agreed to interview Jessica Jolley, Kristy Walsh and Ben Pratt.
Interviews with Jessica Jolly, Kristy Walsh and Ben Pratt were conducted by Councillors Parker, and McIntyre on 10th February to learn more about their involvement with off road vehicles.
Financial Implications
Nil
Asset Management Implications
Nil
Statutory Implications
Local Government Act 1995:
Section 5.10 Appointment of committee members
Section 5.11A Deputy committee members
Interpretation Act 1984 Section 53: appointment to committees by name or office.
Policy Implications
Policy EXEC 001 – Council Committee Terms of Reference
Strategic Implications
Strategic Community Plan 2012-2022
Civic Leadership
4.1: Ensure Councillors are representative of the community and provide strong and visionary leadership
Corporate Business Plan 2013/2014 – 2016/2017
Action 4.1.1: facilitate Councillors requirements to represent the community
Environmental Considerations
Nil
|
a. |
Nomination: Brett Thorp - Confidential |
|
|
b. |
Nomination: Kristy Walsh - Confidential |
|
|
c. |
Nomination: Nigel Walker - Confidential |
|
|
d. |
Nomination: Ben Pratt - Confidential |
|
|
e. |
Nomination: Paul Mack - Confidential |
|
|
f. |
Nomination: Ian Hartley - Confidential |
|
|
g. |
Nomination: Tim Hawkey - Confidential |
|
|
h. |
Nomination:Jessica Jolley - Confidential |
|
|
i. |
Nomination: Wendy Royle - Confidential |
|
|
That Council appoints the following persons to the Shire of Esperance Off Road Vehicle Working Party: 1. Esperance Police Service - Senior Sergeant Richard Moore with Sergeant James Reid as deputy. 2. Department of Parks and Wildlife - Robert Blok with Ian Hughes as deputy 3. Community Representatives (4) – Brett Thorp; Tim Hawkey; Jessica Jolley; and Kristy Walsh; with Ian Hartley as a deputy for any community representative unable to attend a meeting and; 4. Requests the CEO to convene a meeting of the Working Party to be held during March 2015 Voting Requirement Absolute majority
|
Ordinary Council: Agenda
24 February 2015 Page 67
Disability Access and Inclusion Plan - Amendment Outcome 7
|
Author/s |
Rod Hilton |
Executive Manager Community Division |
|
Authorisor/s |
Matthew Scott |
Chief Executive Officer |
File Ref: D15/3485
Applicant
Internal
Location/Address
Shire of Esperance
Executive Summary
Council is required to review public submissions on the amended Disability Access and Inclusion Plan before adopting the Plan and lodging it with the Disability Services Commission.
Recommendation in Brief
That Council adopts the amended Disability Access and Inclusion Plan 2012-2017(v2) and lodges it with the Disability Services Commission.
Background
At the December 16th Council meeting Council resolved:
O1214-016
That Council:
1. Amends the Disability Access and Inclusion Plan 2012-2017 by the addition of Outcome 7 – ‘People with disability have the same opportunities as other people to obtain and maintain employment with a public authority’; and,
2. Consults with the public by way of advertising in the Esperance Express and on the Shire Website requesting comment on Outcome 7 of the Disability Access and Inclusion Plan with submissions being accepted at the Shire Office up until 14 days after publication of the advertising.
The proposed amendment was subsequently advertised for public comment in the Council Connections page of the Esperance Express on 9th January 2015 and on Councils website. The public comment period concluded on 26th January 2015. No public submissions were received.
Council is now required to adopt the amended Disability Access and Inclusion Plan and forward a copy to the Disability Services Commission no later than 1st July 2015.
Officer’s Comment
The objective of this amendment is to improve employment opportunities for persons with disability and to break down any existing barriers.
The strategies related to Outcome 7 are:
1. Use inclusive recruitment practices
2. Improve methods of attracting, recruiting and retaining people with disability
3. Work with key disability employment support provider(s) to obtain support to employ persons with disability
The Implementation Plan to achieve Outcome 7 sets the following guidelines:
· Ensure job advertisements are displayed in a variety of formats and locations - newspaper, website, notice boards etc.
· Include a statement in advertising – We are an Equal Opportunity Employer
· Ensure interviews are conducted at an accessible venue.
· Examine current methods of recruitment
· Assess the support required for employees with disability
· Identify disability employment service providers in Esperance
· Seek assistance to develop flexible job descriptions
· Ensure disability employment service providers have access to advertised vacancies
Council is required to submit an annual report to the Disability Services Commission on progress towards the implementation of the 7 outcomes included in the Disability Access and Inclusion Plan.
Consultation
The proposed amendment to the Disability Access and Inclusion Plan was advertised for public comment in the Esperance express on 9th January 2015.
Financial Implications
The financial implications arising from this report are insignificant and relate to a slight increase in recruitment costs due to additional wording included in advertising.
Asset Management Implications
Nil
Statutory Implications
The statutory implications associated with this item are:
· Disability Services Act 1993 Section 28 – each public authority must have a Disability Access and Inclusion Plan
Policy Implications
The policy implications arising from this report arise from the Disability Access and Inclusion Plan being a guiding policy to the Shire on acknowledging the requirements of persons with disability in our community.
Strategic Implications
Strategic Community Plan 2012 - 2022
Social
Create a social environment that is accessible and inclusive for all ages and abilities
A Shire where the broadest community feel welcome involved and connected to each other.
Corporate Business Plan 2013/2014 – 2016/2017
Action 1.1.1.3 Review and Update the Disability Access and Inclusion Plan
Environmental Considerations
Nil
|
a. |
Disability Access and Inclusion Plan 2012-2017 |
|
|
That Council adopts the amended Disability Access and Inclusion Plan 2012-2017(v2) and lodges it with the Disability Services Commission. Voting Requirement Simple Majority
|
TRIM D15/3484
Shire of Esperance
Disability Access and Inclusion Plan
2012-2017
This plan is available in alternative formats such as large print, electronic format (disk or emailed), audio or Braille, on request
Adopted by Council 24th July 2007 (res.EO707-3509
Reviewed after public consultation 5th December 2008
Amended 8th May 2009
Reviewed by Council August 2009
Reviewed by DAIP Working Party 25th Feb 2010
Reviewed by Council 21st September 2010 (res AP0910-182)
Public consultation 2nd December 2011
Reviewed by APC 17th July 2012 (res. AP0712-054
Reviewed DAIP adopted by Council 24th July 2012 (res O0712-072)
Amended December 2014 (res.....................)
Introduction
The Shire has a population of 11,931 (2012 Census data) with a high percentage of children in the 0-14 age bracket and a lower percentage in 65+ age bracket when compared with the rest of the State. The ageing population is projected to increase, by 2056 one in four Australians will be aged 65 and over and Esperance is reflecting this trend. The growth of the 65+ sector of the community and the seasonal influx of tourists, some of whom will identify as having some form of a disability, must be considered.
In February 1996 Council adopted its first Disability Service Plan as was required under the Western Australian Disability Services Act 1993. This Act was amended in 2004 which requires that public authorities develop and implement Disability Access and Inclusion Plans (DAIP’s). The requirements of DAIP’s build on those of DSP’s, ensuring that people with disability can access services, facilities and information in a way that promotes independence, opportunities and inclusion within the community.
Local Governments play a particularly important role in the lives of people with disability, as local governments are multi functional, with extensive responsibilities and activities across property, community and human service areas.
People with disability often experience difficulty in doing things that many of us take for granted in our daily lives. Commonly experienced difficulties include:
· Hearing what is said at public meetings;
· Visiting the municipal library or senior citizens centre;
· Seeing and understanding directional signs;
· Using public and recreational facilities;
· Reading and understanding notices and newsletters prepared by Councils; and
· Making contact with Councillors or Council staff by telephone or in person at the Council offices.
· Gaining meaningful employment
Key aspects of the legislation are the listing of seven (7) desired outcomes of Disability Access and Inclusion Plans.
1. People with disability have the same opportunities as other people to access the services of and any events organised by a public authority.
2. People with disability have the same opportunity as other people to access the buildings and other facilities of a public authority.
3. People with disability receive information from a public authority in a format that will enable them to access the information as readily as other people are able to access it.
4. People with disability receive the same level and quality of service from the staff of a public authority as other people receive from the staff of that public authority.
5. People with disability have the same opportunities as other people to make complaints to a public authority.
6. People with disability have the same opportunities as other people to participate in any public consultations by a public authority.
7. People with disability have the same opportunities as other people to obtain and maintain employment with a public authority
Council’s Disability Access and Inclusion Plan has been updated annually since its inception. This plan confirms Council’s commitment to ensure that people with disability are recognised and acknowledged within our community by ensuring that they, and their families and carers, have the same rights as other people to access local government services and utilise public facilities.
The Shire of Esperance has embodied the spirit of the legislation in its strategic planning by adopting the communities vision of Esperance being a vital caring community which has strong support for all ages and abilities, accommodating and tolerant of a wide range of views, marked by high levels of integrity in its leaders, with people of all ages contributing to the ongoing quality of life for all its residents.
Council in turn has stated its objective to continue to support the process and implement the initiatives of the Disability Access and Inclusion Plan.
Services and Facilities Provided by the Shire of Esperance
Services to property:
Maintenance & construction of:
§ Roads, streets & kerbs
§ Footpaths
§ Bridges
§ Drainage
§ Parks & gardens
§ Foreshores
§ Boat ramps
§ Jetties
§ Swimming areas
§ Airport
§ Cemetery
§ Car parks
§ Street lighting
§ Fire control
Rubbish collection & disposal
Civic & public buildings planning,
Construction & maintenance
General administration
Website maintenance
Cash receipting and expenditure
Telephone and communication
Rates
Processes of government:
Council meetings
Advisory Committee meetings
Electors meetings
Election of councillors
Community consultation
Regulatory services
Vehicle licensing
Law enforcement
Parking control
Land use / town Planning
Health inspections & compliance
Environmental planning
Development approvals
Infectious diseases notification
Noise & emission monitoring
Building permits
Advertising signs licences
Services to the community
Playgrounds
Recycling
Volunteer Management
Library & information services
Aged Cares Services and facilities
Meals on Wheels
Youth Services & facilities
Facility bookings
Camping grounds
Tourism
Recreation Services
§ Bay of Isles Leisure Centre
§ Civic Centre entertainment
§ Recreation Grounds
§ Arts
§ Museum
§ Public Halls
§ Promotion & marketing
Commitment to an Accessible and Inclusive Community
The Shire of Esperance is committed to ensuring that the community is accessible for and inclusive of people with disability, their families and carers.
The Shire of Esperance interprets an accessible and inclusive community as one in which all council functions, facilities and services (both in-house and contracted) are open, available and accessible to people with disability, providing them with the same opportunities, rights and responsibilities as other people in the community.
The Shire of Esperance embodies this commitment in its Strategic Action Plan 2000 – 2025:
Strategy No. 5
The Shire of Esperance will endeavour to ensure all buildings, infrastructure, and services are accessible for people with disability and special needs.
This strategy will be implemented through the following objectives –
a) Assess all existing Council buildings and infrastructure and develop and implement a timetable for their upgrade to the required standard of access
b) Endeavour to educate private developers and builders on universal building design
c) Ensure government agencies involved in the development of seniors accommodation and services are aware of and reflect the community’s expectations.
d) Support and encourage seniors organisations in promoting the rights and responsibilities of scooter users
e) Recognise the needs of seniors when planning pedestrian crossings footpaths and crossovers
f) Ensure adequate and accessible ablution facilities in the central business district and other public areas, for people with special needs
g) Ensure that consideration is given to the special needs of seniors in the planning of new facilities and/or the redevelopment of existing facilities with special attention to the library and civic centre
h) Ensure all new council buildings and infrastructure meet national standards in accessibility for people with special needs.
And in it’s Community Action Plan under People Lifestyle and Community:
To ensure that all residents in Esperance have access to services and facilities within the town and can be actively involved in all community activities.
In April 2013 the Disability Services Commission advised that employment for people with disability is now included as a reporting requirement in DAIP’s as Outcome 7.
Responsibility for the Disability Access and Inclusion Plan
A Disability Access and Inclusion Advisory Committee initiated the inaugural Disability Access and Inclusion Plan. This committee was replaced by a Working Party established in 2008 to review and implement the Disability Access and Inclusion Plan as required. The DAIP is currently under the responsibility of the Executive Manager Community Division. The final plan is endorsed by council and it is the responsibility of all officers, contractors and agents to implement the relevant actions.
Consultation Process
The Disability Services Act Regulations (2004) set out the minimum consultation requirements for public authorities in relation to Disability Access and Inclusion Plans (DAIPS). Local governments must call for submissions (either general or specific) by notice in a newspaper circulating in the local government area or on any website maintained by or on behalf of the local government. Other mechanisms may also be used.
The DAIP was first reviewed and amended on the 5th December 2008 by the former Disability Access and Inclusion Plan Advisory Committee members at a DAIP Review forum.
The Plan was further amended following consultation with an identified group of quadriplegic residents on 8th. May 2009.
The Plan was reviewed again on the 25th Feb 2010 and was followed by a town inspection tour on the 29th March 2010 with the same group of quadriplegic residents that were involved in the 2009 review.
In January 2011 Council advertised the availability of the DAIP for community review in the Esperance Express newspaper. Only 2 responses were received by way of complaints:
· Regarding the attitude of a retailer in not allowing a “hearing dog” into his store, and
· Windblown sand covering the foreshore dual use pathway.
A formal consultation was initiated on 2nd December 2011 in conjunction with an International Day of People with Disability forum at the Esperance Civic Centre. This event was advertised in the Esperance Express and widely promoted via posters and brochures. A stall was conducted at the forum at which copies of the DAIP were provided to participants.
The consultation process at this event was facilitated by the Director Community Services and took the form of a survey and individual discussions with people with disability and key stakeholders attending the forum. There were 56 people in attendance and 16 survey forms were completed and returned.
The amendment to the DAIP by way of the addition of Outcome 7 –People with disability have the same opportunities as other people to obtain and maintain employment with a public authority, was advertised in the Esperance Express and on the Shire website during December 2014.
Reporting
The Disability Services Act requires the Shire of Esperance to report on the implementation of its Disability Access and Inclusion Plan in its annual report outlining:
§ Progress towards the desired outcomes of its DAIP;
§ Progress of its agents and contractors towards meeting the desired outcomes; and
§ The strategies used to inform agents and contractors of its DAIP.
The Shire of Esperance is also required to report on progress in the prescribed format to the Disability Services Commission by July 31 of each year.
Review and Evaluation
The Disability Services Act requires that DAIPs be reviewed at least every five years. Whenever the DAIP is amended, a copy of the amended plan must be lodged with the Disability Services Commission. The implementation plan can be updated more frequently if desired.
The Disability Access and Inclusion Plan Working Party monitors the Disability Access and Inclusion Plan. The Working Party meets as required. Additional input is received from ex-officio members that are invited from time to time to attend meetings. Council has a general complaints handling procedure that enables persons to raise issues with Council staff.
Consultation by way of survey during the December 2nd 2011 International Day of People with Disability has formed the basis of the last review undertaken during May 2012.
The next review will be conducted in 2017.
Dissemination of the Plan
The Plan is a public document, which is available on request from Council’s Administration Officers or Library Information Service. It can be translated into alternative formats for large print, audio or Braille and is also available electronically and via email upon request. The Executive Manager Community Division is available to any person seeking explanation or further information regarding the Plan.
Availability of the amended plan will be advertised in the Esperance Express (local newspaper). Copies will be distributed to all Shire Councillors, members of the Disability Access and Inclusion Working Party and Directors of the Shire of Esperance.
The Disability Access and Inclusion Plan is also available to download from the Shire of Esperance website at www.esperance.wa.gov.au.
Reporting on the DAIP
The Disability Services Act requires the Shire to report on the implementation of its DAIP in its annual report outlining:
§ Progress towards the desired outcomes of the DAIP;
§ Progress of its agents and contractors towards meeting the seven desired outcomes; and
§ The strategies used to inform agents and contractors of its DAIP
The shire is also required to report on progress in the prescribed format to the Disability Services Commission by July 31 each year.
Conclusion
The Shire of Esperance is committed to ensuring that people with disability and their carers have the opportunity to fully participate in community life.
Ordinary Council: Agenda
24 February 2015 Page 75
Strategies to improve access and inclusion
The following overarching strategies have been developed to address each of the seven desired outcome areas of the Disability Services Act from feedback gained in the consultation process. This will form the basis of the Implementation Plan.
KEY OUTCOME STATEMENT 1: PEOPLE WITH DISABILITY HAVE THE SAME OPPORTUNITIES AS OTHER PEOPLE TO ACCESS THE SERVICES OF AND ANY EVENTS ORGANISED BY A PUBLIC AUTHORITY.
|
Strategy |
|
Ensure that people with disability are consulted on their needs for services and the accessibility of current services |
|
Ensure that events are accessible to people with disability |
|
Develop links between the DAIP and other shire plans and strategies |
|
Provide rest areas for pedestrians within the CBD, parks, cemetery and walk trails. |
|
Improve access to the cemetery for persons with mobility problems. |
|
Footpaths and roads are kept free of rubbish, debris and other impediments. |
KEY OUTCOME STATEMENT 2: PEOPLE WITH DISABILITY HAVE THE SAME OPPORTUNITY AS OTHER PEOPLE TO ACCESS THE
BUILDINGS AND OTHER FACILITIES OF A PUBLIC AUTHORITY.
|
Strategy |
|
Ensure that all buildings and facilities meet the standards for access and any demonstrated additional need |
|
Ensure that all new or redevelopment works provide access to people with disability, where practicable |
|
Advocate to local businesses and tourist venues the requirements for and benefits flowing from the provision of accessible venues |
|
Ensure that all recreational areas are accessible |
|
Ensure that ACROD parking meets the needs of people with disability in terms of quantity and location |
|
Ensure that persons with disability are considered when constructing or renovating public toilets, ablutions and change rooms |
|
Improve access to the town beaches for people using wheelchairs |
|
Easy Access car parking is available at shire facilities |
KEY OUTCOME STATEMENT 3: PEOPLE WITH DISABILITY RECEIVE INFORMATION FROM A PUBLIC AUTHORITY IN A FORMAT THAT WILL ENABLE THEM TO ACCESS THE INFORMATION AS READILY AS OTHER PEOPLE ARE ABLE TO ACCESS IT.
|
Strategy |
|
Ensure that the community is aware of where shire information may be obtained and that shire information is available in alternative formats on request |
KEY OUTCOME STATEMENT 4: PEOPLE WITH DISABILITY RECEIVE THE SAME LEVEL AND QUALITY OF SERVICE FROM THE STAFF OF A PUBLIC AUTHORITY AS OTHER PEOPLE RECEIVE FROM THE STAFF OF THAT PUBLIC AUTHORITY.
|
Strategy |
|
Improve staff and contractor awareness of disability and access issues and improve skills to provide good service to people with disabilities |
|
Ensure staff working with persons with disability receive appropriate training |
KEY OUTCOME STATEMENT 5: PEOPLE WITH DISABILITY HAVE THE SAME OPPORTUNITIES AS OTHER PEOPLE TO MAKE COMPLAINTS TO A PUBLIC AUTHORITY.
|
Strategy |
|
Ensure that grievance mechanisms are accessible for persons with disability |
KEY OUTCOME STATEMENT 6: PEOPLE WITH DISABILITY HAVE THE SAME OPPORTUNITIES AS OTHER PEOPLE TO PARTICIPATE IN ANY PUBLIC CONSULTATIONS BY A PUBLIC AUTHORITY.
|
Strategy |
|
Improve community awareness about consultation processes |
KEY OUTCOME STATEMENT 7: PEOPLE WITH DISABILITY HAVE THE SAME OPPORTUNITIES AS OTHER PEOPLE TO OBTAIN AND MAINTAIN EMPLYMENT WITH A PUBLIC AUTHORITY
|
Strategy |
|
Use inclusive recruitment practices |
|
Improve methods of attracting, recruiting and retaining people with disability |
|
Work with key disability employment support provider(s) to obtain support to employ persons with disability |
Implementation Plan 2012 - 2017
KEY OUTCOME STATEMENT 1: PEOPLE WITH DISABILITY HAVE THE SAME OPPORTUNITIES AS OTHER PEOPLE TO ACCESS THE SERVICES OF AND ANY EVENTS ORGANISED BY A PUBLIC AUTHORITY.
|
Strategy |
Task |
Timeline |
Responsibility |
Status |
|
Ensure that people with disability are consulted on their needs for services and the accessibility of current services |
· Develop consultation guidelines for all future reviews of services |
December 2017 |
Executive Manager Community Division |
|
|
Ensure that events are accessible to people with disability |
· Ensure that all events are planned using the Accessible Events check list |
Ongoing |
All event coordinators |
|
|
Develop links between the DAIP and other shire plans and strategies |
· Incorporate the objectives and strategies of the DAIP into the Shires existing planning processes, particularly the Community Strategic Plan |
December 2017 |
Chief Executive Officer |
|
|
Provide rest areas for pedestrians within the CBD, parks, cemetery and walk trails. |
· Develop and implement a plan for the provision of strategically placed rest areas in public places. |
Ongoing |
Manager Infrastructure Development |
|
|
Improve access to the cemetery for persons with mobility problems |
· Open the cemetery to the public for vehicle access on Sundays |
December 2014 |
Manager Parks and Gardens |
|
|
Footpaths and roads are kept free of rubbish, debris and other impediments. |
· A footpath and roads inspection program is implemented to keep footpaths and roads hazard free and accessible. |
Ongoing |
Manager Infrastructure Operations |
|
KEY OUTCOME STATEMENT 2: PEOPLE WITH DISABILITY HAVE THE SAME OPPORTUNITY AS OTHER PEOPLE TO ACCESS THE BUILDINGS AND OTHER FACILITIES OF A PUBLIC AUTHORITY.
|
Strategy |
Task |
Timeline |
Responsibility |
Status |
|
Ensure that all buildings and facilities meet the standards for access and any demonstrated additional need |
· Conduct an audit of public toilets, buildings, airport, cemetery, and other facilities · Develop and implement a program of progressive upgrade · Consider and make provision for the needs of persons operating electric powered scooters |
December 2017 |
Property Building Coordinator |
|
|
Ensure that all new or redevelopment works provide access to people with disability, where practicable |
· Ensure that the legal requirements for access are met in all plans for new or redeveloped buildings and facilities · Ensure that no development application is signed off without a declaration that it meets the legal requirements · Ensure that key staff are trained and kept up to date with legal requirements |
Ongoing |
Director Asset Management |
|
|
Advocate to local businesses and tourist venues the requirements for and benefits flowing from the provision of accessible venues |
· Provide information on the needs of people with disabilities and of legal requirements and best practice · Promote access to business · Make access information available on the Shire website |
Ongoing |
Manager Commercial Enterprises |
|
|
Ensure that all recreational areas and facilities are accessible |
· Conduct an audit of sports grounds, playgrounds, and beaches · Include provision for persons with disability to access boats at boat ramps and wharfs when developing or renovating facilities. · Develop and implement a program of progressive upgrade |
December 2015 |
Director Asset Management |
|
|
Ensure that ACROD parking meets the needs of people with disability in terms of quantity and location |
· Conduct an audit of ACROD bays and implement a program to rectify any non compliance · Consider the need for additional bays at some locations |
December 2015 |
Manager Infrastructure Operations |
|
|
Ensure that persons with disability are considered when constructing or renovating public toilets, ablutions and change rooms |
· Consult with persons with disability to identify special needs when constructing or renovating ablutions and change rooms · Change rooms at the Bay of Isles Leisure Centre are renovated to meet the needs of persons with disabilities |
Ongoing as projects emerge.
|
Director Asset Management |
|
|
Improve access to the town beaches for people using wheelchairs |
· Include beach access for persons with disability in redevelopment plans for foreshore |
December 2014 |
Director Asset Management |
|
|
Easy Access car parking is available at shire facilities |
· Develop a car parking strategy to provide for an increase in the numbers of persons with disability · Facilitate easy access car parking to library and senior citizens centre |
December 2015 |
Director Asset Management |
|
KEY OUTCOME STATEMENT 3: PEOPLE WITH DISABILITY RECEIVE INFORMATION FROM A PUBLIC AUTHORITY IN A FORMAT THAT WILL ENABLE THEM TO ACCESS THE INFORMATION AS READILY AS OTHER PEOPLE ARE ABLE TO ACCESS IT.
|
Strategy |
Task |
Timeline |
Responsibility |
Status |
|
Ensure that the community is aware of where shire information may be obtained and that shire information is available in alternative formats on request |
· Publicise the availability and location of shire information sources · Ensure that all documents carry a notation that it is available in alternative formats |
Ongoing |
Manager Executive Services |
|
KEY OUTCOME STATEMENT 4: PEOPLE WITH DISABILITY RECEIVE THE SAME LEVEL AND QUALITY OF SERVICE FROM THE STAFF OF A PUBLIC AUTHORITY AS OTHER PEOPLE RECEIVE FROM THE STAFF OF THAT PUBLIC AUTHORITY.
|
Strategy |
Task |
Timeline |
Responsibility |
Status |
|
Improve staff and contractor awareness of disability and access issues and improve skills to provide good service to people with disability |
· Determine training needs of staff and conduct training as required · Develop contracts for contractors which include recognition of the Shires obligations under it’s DAIP. |
Ongoing |
Manager Corporate Support |
|
|
Ensure staff working with persons with disability receive appropriate training |
· Identify staff that provide services to persons with disability · Provide training to staff |
Ongoing |
Manager HR |
|
KEY OUTCOME STATEMENT 5: PEOPLE WITH DISABILITY HAVE THE SAME OPPORTUNITIES AS OTHER PEOPLE TO MAKE COMPLAINTS TO A PUBLIC AUTHORITY.
|
Strategy |
Task |
Timeline |
Responsibility |
Status |
|
Ensure that grievance mechanisms are accessible for persons with disability |
· Promote accessible complaints mechanisms to the community · Develop web based complaints forms |
December 2015 |
Manager Corporate Support |
|
KEY OUTCOME STATEMENT 6: PEOPLE WITH DISABILITY HAVE THE SAME OPPORTUNITIES AS OTHER PEOPLE TO PARTICIPATE IN ANY PUBLIC CONSULTATIONS BY A PUBLIC AUTHORITY.
|
Strategy |
Task |
Timeline |
Responsibility |
Status |
|
Improve community awareness about consultation processes |
· Promote the existence, role and activities of the Disability Services Working Party · Disability Services Working Party to meet at least 6 monthly to review implementation of DAIP. · Ensure that media releases go to both print and electronic media. |
Ongoing |
Executive Manager Community Division |
|
KEY OUTCOME STATEMENT 7: PEOPLE WITH DISABILITY HAVE THE SAME OPPORTUNITIES AS OTHER PEOPLE TO OBTAIN AND MAINTAIN EMPLOYMENT WITH A PUBLIC AUTHORITY
|
Strategy |
Task |
Timeline |
Responsibility |
Status |
|
Use inclusive recruitment practices |
· Ensure job advertisements are displayed in a variety of formats and locations - newspaper, website, notice boards etc. · Include a statement in advertising – We are an Equal Opportunity Employer · Ensure interviews are conducted at an accessible venue. |
Ongoing |
Manager Human Resources |
|
|
Improve methods of attracting, recruiting and retaining people with disability |
· Examine current methods of recruitment · Assess the support required for employees with disability |
June 2015 |
Manager Human Resources |
|
|
Work with key disability employment support provider(s) to obtain support to employ persons with disability |
· Identify disability employment service providers in Esperance · Seek assistance to develop flexible job descriptions · Ensure disability employment service providers have access to advertised vacancies |
Ongoing |
Manager Human Resources |
|
24 February 2015 Page 83
Community Grants Program 2015-2016
|
Author/s |
Lynda Horn |
Community Support Officer |
|
Authorisor/s |
Rod Hilton |
Executive Manager Community Division |
File Ref: D15/3668
Applicant
Internal
Location/Address
Internal
Executive Summary
For Council to review the amended Community Grants Program guidelines for the 2015-2016 year and advertise for applications.
Recommendation in Brief
That Council:
1. Endorse the changes to the Community Grants Program Guidelines;
2. Amend the delegated authority for the CEO and Shire President to approve funding applications under the Support category from $500 to $1,000;
3. Advertise for applications for the 2015-2016 Community Grants Program during March 2015.
Background
In 2014 a review was undertaken of the Shire’s Community Development Fund. The revised model, the “Community Grants Program”, introduced some changes to the structure and format of the grants program. Since the implementation of the new grant program, feedback from community groups has been received suggesting areas for adjustment in the delivery of information and in the format of the funding programs.
Officer’s Comment
The “Community Activity Program” is a very specific category within the grants structure. It is aimed at supporting community groups in the delivery of projects, activities and programs that promote arts, music, sport, environmental, recreational and cultural events during the school holiday periods. Council currently allocates a budget amount and hold four rounds of applications for the grant program to coincide with the school holiday periods.
Feedback received from community groups that regularly access the “Community Activity Program” category have advised that it is difficult to forward plan for four holiday periods without being assured of confirmed funding and that applying and acquitting these small grants four times per year is time consuming.
To address this issue, it is suggested that the Community Activity Program is absorbed into the Community Assistance category, which is the small grant funding category open once per year. This would allow community groups the ability for forward plan and submit one application and acquittal per year to encompass all projects, programs and activities.
To offset the removal of the Activity Program it is also suggested that the Support category application amount be increased from $500 to a maximum of $1,000. The category would still have specific funding allocations for arts/culture/sport representation, while ensuring availability of grant funds for groups that seek one off small community sponsorship throughout the year.
Currently the CEO and Shire President have delegated authority to approve applications under the Support category to a value of $500.The delegation would need to be adjusted to allow for the approval of funding applications up to $1,000.
The proposed amendments to the grant structure are as follows:
|
Grant Category |
Purpose |
Application Amount |
Availability |
|
Support |
Small grants for donations, sponsorships and scholarships to support the delivery of individual projects, programs and activities. |
Up to $1,000 |
Open all year round |
|
Assistance |
Supports the delivery of small projects, programs and activities such as minor equipment purchases, workshops, school holiday programs. |
Min $1,000 Max $5,000 |
Open yearly |
|
Development |
For the development of the community through projects or events. Supports capital upgrades, improvements and development of community services and facilities. |
$5,000 and over |
Open yearly |
|
Events |
To provide support and incentive for new and developing local and regional events. |
$1,000 and over |
Open yearly |
Other adjustments that have been identified:
· That the category names are confusing and too long. To improve the understanding of the categories the names will be shortened to avoid confusion. For example: “Community Support Program” would now be labeled as the “Support” category.
· Having a separate fact sheet from the guidelines booklet meant applicants would often not read both documents. The guidelines and fact sheet information has been combined into one document to avoid information not being read.
· Additional information was required under the Accountability section of the guidelines to outline additional documentation required when the accountability Report was being submitted. An additional dot point has been included which states:
“The Accountability report must include a financial report of budgeted and actual expenditure, and evidence of: grant funds being spent; recognition of Shire contribution; tangible evidence to support performance indicators.”
· Adjustment to the wording under the Time Frame for the Support category as follows:
- Applications close at the end of every month;
- Funding outcomes will be advised by the 15th of each month;
- Applications must be received prior to the event or competition taking place to allow sufficient time for review and outcomes to be advised;
- Depending on the timing of applications the allocation of funds may occur after the event.
· Supplementary changes including adjustment to application forms to allow larger boxes, minor spelling errors and the addition of a notation on the project budget that state that amounts are GST exclusive.
Consultation
The proposed changes where discussed by Councillors at the councillors briefing session on the 3rd February 2015.
Financial Implications
N/A
Asset Management Implications
N/A
Statutory Implications
Local Government Act 1995 Section 5.42 Delegations to CEO
Policy Implications
N/A
Strategic Implications
Strategic Community Plan 2012 - 2022
Social
Encourage and support volunteers and community groups
Active and growing volunteer and community groups
Corporate Business Plan 2013/2014 – 2016/2017
Manage the Community Grants Program
Environmental Considerations
N/A
|
a. |
Community Grants Program Guidelines 2015-2016 |
|
|
That Council 1. Endorse the changes to the Community Grants Program Guidelines; 2. Amend the delegated authority to the Chief Executive Officer for the Chief Executive Officer and Shire President to approve funding applications to the Support category, from $500 up to an maximum amount of $1,000; and 3. Advertise for applications for the 2015-2016 Community Grants Program during March 2015. Voting Requirement Absolute Majority
|
24 February 2015 Page 102
Community Grants Program - Activity Program Allocations
|
Author/s |
Lynda Horn |
Community Support Officer |
|
Authorisor/s |
Rod Hilton |
Executive Manager Community Division |
File Ref: D15/3687
Applicant
Internal
Location/Address
N/A
Executive Summary
That council considers the single Community Activity Program application that has been received for the April School Holidays.
Recommendation in Brief
That Council approves a grant of $1,000 to the Cannery Arts Centre for the April Holiday Kickarts program.
Background
The Community Activity Program has an annual budget of $12,000. The funding program supports the delivery of projects, programs and activities during the school holiday period. Applications are open four
times per year. This is the third round of applications for the 2014/2015 financial year.
One application was received by the due date of Friday 30 January 2015. The application is summarised below:
Cannery Arts Centre – January Summer Holiday Kickarts
Description: provision of 15 arts and crafts based activities during the April holiday period for children and youth. This funding will assist in keeping the costs low for participants. Based on previous workshops the anticipated participation is approximately 103 people.
Total Project Cost: $6,202
Funding Request: $1,000
Officer’s Comment
The Cannery Arts Centre has conducted programs previously that have been well organised, attended and acquitted accordingly. Council funding is required as a contribution towards the purchase of materials and tutors fees.
Consultation
Applications for the Community Activity Program were called between the 6 January and the closing date on the 30 January. The program was advertised in Council Connections and on the Shire Web site and Facebook page as well as emailed to community groups.
The application has been reviewed by the Community Support Officer and the Executive Manager Community Division
Financial Implications
There are no known financial implications from this report as the Community Activity Program has already been budgeted for the 2014/2015 financial year. The Community Activity Program has $8,000 remaining in the budget with a further round of applications for the July holidays.
Asset Management Implications
N/A
Statutory Implications
N/A
Policy Implications
N/A
Strategic Implications
Strategic Community Plan 2012-2022
Social
1.4 Encourage and support volunteers and community groups
Corporate Business Plan 2013/2014 – 2016/2017
Action 1.4.1.2 Manage the Community Grants Program
Environmental Considerations
N/A
|
a. |
Application - 2014/2015 Community Grants Program CGP - Activity - April School Holiday Kickarts - The Cannery Arts Centre |
|
|
That Council approve a grant of $1,000 from the Community Grants Program - Activity to the Cannery Arts Centre for the April Holiday Kickarts program. Voting Requirement Simple Majority
|
24 February 2015 Page 111
RFQ 14-14 Replacement of a 8-Wheel Tip Truck
|
Author/s |
Chris Hubble |
Technical Officer |
|
Authorisor/s |
Gavin Harris |
Director Asset Management |
File Ref: D15/3703
Applicant
Internal
Location/Address
Asset Management
Executive Summary
To consider quotations for the supply, delivery and licensing of one new 8-Wheel Tip Truck utilising the trade-in of the Shire’s existing 2009 FS500 Fuso 8-wheel Tip Truck and the outright purchase offers received in relation to a WALGA disposal tender.
Recommendation in Brief
Council should:
1. Not accept the outright purchase offer from Smith Broughton & Sons, Pickles Auctions, or Allused under WALGA disposal tender RFT 055_14 (Plant 3); and
2. Accept quotation RFQ 14/14 from Daimler Trucks for the supply, delivery and licensing of one new FS52 Fully Automatic 8-wheel Tip Truck as specified, utilising trade of the Shire’s existing 2009 FS500 8-wheel Tip Truck for a net changeover of $138,010.00.
Background
In accordance with the Councils adopted Plant Asset Management Plan Fuso FS500 8-wheel Tip Truck (2009) Registration 1DGX606, Shire ID T102, Plant ID. 63022 is due to be changed over as per the 2014-15 budget.
The WALGA Preferred Supplier System was used to obtain quotes from four (4) suppliers of trucks being WA Hino (Hino), Daimler Trucks (Fuso), Truck Centre WA (UD Trucks), and Purcher International (Iveco). Truck Centre WA and Purcher International declined to respond as UD Trucks and Iveco respectively do not produce 8-wheel tip trucks in the 8x4 configuration that the Shire uses.
WALGA was engaged to run a tender for the disposal of the Shire’s existing Truck which was advertised under WALGA Disposal Tender RFT 055-14 (Plant 3) on Saturday 1st November, 2014 and closed Wednesday 12th November, 2014. Three (3) tenders were received for the outright purchase.
Two (2) companies submitted three (3) quotations to replace the Truck including trade changeover figures.
The quotations were evaluated with the following criteria:
|
Description of Qualitative Criteria |
Weighting |
|
Whole of Life Costs |
50% |
|
Mechanical Assessment |
25% |
|
Provision of Service Abilities |
5% |
|
Operator Assessment |
20% |
The assessment matrix (below) allows the tenders / quotations to be evaluated in an unbiased manner whereby the supplier with the highest overall points may be considered to be the most advantageous quotation. This is to be used as a guide only during the assessment and is not necessarily binding.
Officer’s Comment
Shire staff evaluated the machinery from the supplied technical information, photos, internet, discussion with the various sales representatives and previous experience.
Assessment
|
Company |
Daimler Trucks |
Daimler Trucks |
WA Hino
|
|
Make and Model |
Fuso FS52 Semi-Automatic |
Fuso FS52 Fully-Automatic |
Hino FY3248 |
|
Score |
84.40 |
82.94 |
80.51 |
From the above table all three trucks are quite close, with less than 4 points between them.
The Shire operates a fleet of different makes and models of trucks, and is equipped to handle the servicing and maintenance of these trucks.
The Fully Automatic option on the Fuso will make driving and operating the trucks easier for operators, lowering possible distractions and lessening fatigue. The fully automatic gearbox and PTO will allow for simpler operation without sacrificing tipping capabilities.
Consultation
Workshop Supervisor
Plant Operators
Company Representatives
WALGA
Works Supervisors
Director of Engineering Services
Financial Implications
Council has allocated $169,744.00 (excluding GST) net changeover in its 2014/15 Budget. The net actual changeover for this Truck is $31,734.00 (excluding GST) under budget. See confidential attachment for quotation comparison.
Asset Management Implications
It is important to ensure that fleet is changed over at the optimal time whereby a suitable trade value is obtained while limiting the need to undertake significant maintenance on plant prior to trading. This ensures that the Shire keeps a modern, up-to-date fleet that is capable of undertaking the significant work required within the Shire of Esperance.
This replacement is in accordance with Council’s adopted Fleet Asset Management Plan and the 10 Year Plant Replacement Program contained within.
Statutory Implications
Local Government (Functions and General) Regulations 1996 Part 4 and Section 3.57 of the Local Government Act 1995.
Policy Implications
Nil
Strategic Implications
Strategic Community Plan 2012-2022
Economic
3.1 Deliver a diverse range of affordable services and infrastructure across the Shire.
3.3 Deliver and advocate for a diverse and safe transport system which is efficient and meets the needs of all users.
3.5 Maintain the Shire’s robust asset management practices and maintenance programs.
Environmental Considerations
Nil
|
a. |
RFQ 14/14 - Truck Comparison for Council - Confidential |
|
|
That Council 1. Not accept the outright purchase offer from Smith Broughton & Sons, or Allused under WALGA disposal tender RFT 055_14 (Plant 3); and 2. Accept quotation RFQ 14/14 from Daimler Trucks for the supply, delivery and licensing of one new FS52 8-wheel Tip Truck as specified, utilising trade of the Shire’s existing 2009 FS500 8-wheel Tip Truck for a net changeover of $138,010.00. Voting Requirement Simple Majority
|
Ordinary Council: Agenda
24 February 2015 Page 114
RFQ 15-14 Replacement of a 8-Wheel Tip Truck
|
Author/s |
Chris Hubble |
Technical Officer |
|
Authorisor/s |
Gavin Harris |
Director Asset Management |
File Ref: D15/3705
Applicant
Internal
Location/Address
Asset Management
Executive Summary
To consider quotations for the supply, delivery and licensing of one new 8-Wheel Tip Truck utilising the trade-in of the Shire’s existing 2009 FS500 Fuso 8-wheel Tip Truck and the outright purchase offers received in relation to a WALGA disposal tender.
Recommendation in Brief
Council should:
1. Not accept the outright purchase offer from Smith Broughton & Sons, Pickles Auctions, or Allused under WALGA disposal tender RFT 055_14 (Plant 4); and
2. Accept quotation RFQ 15/14 from Daimler Trucks for the supply, delivery and licensing of one new FS52 Fully Automatic 8-wheel Tip Truck as specified, utilising trade of the Shire’s existing 2009 FS500 8-wheel Tip Truck for a net changeover of $138,010.00.
Background
In accordance with the Councils adopted Plant Asset Management Plan Fuso FS500 8-wheel Tip Truck (2009) Registration 1DGX605, Shire ID T103, Plant ID. 63023 is due to be changed over as per the 2014-15 budget.
The WALGA Preferred Supplier System was used to obtain quotes from four (4) suppliers of trucks being WA Hino (Hino), Daimler Trucks (Fuso), Truck Centre WA (UD Trucks), and Purcher International (Iveco). Truck Centre WA and Purcher International declined to respond as UD Trucks and Iveco respectively do not produce 8-wheel tip trucks in the 8x4 configuration that the Shire uses.
WALGA was engaged to run a tender for the disposal of the Shire’s existing Truck which was advertised under WALGA Disposal Tender RFT 055-14 (Plant 4) on Saturday 1st November, 2014 and closed Wednesday 12th November, 2014. Three (3) tenders were received for the outright purchase.
Two (2) companies submitted three (3) quotations to replace the Truck including trade changeover figures.
The quotations were evaluated with the following criteria:
|
Description of Qualitative Criteria |
Weighting |
|
Whole of Life Costs |
50% |
|
Mechanical Assessment |
25% |
|
Provision of Service Abilities |
5% |
|
Operator Assessment |
20% |
The assessment matrix (below) allows the tenders / quotations to be evaluated in an unbiased manner whereby the supplier with the highest overall points may be considered to be the most advantageous quotation. This is to be used as a guide only during the assessment and is not necessarily binding.
Officer’s Comment
Shire staff evaluated the machinery from the supplied technical information, photos, internet, discussion with the various sales representatives and previous experience.
Assessment
|
Company |
Daimler Trucks |
Daimler Trucks |
WA Hino
|
|
Make and Model |
Fuso FS52 Semi-Automatic |
Fuso FS52 Fully-Automatic |
Hino FY3248 |
|
Score |
84.40 |
82.94 |
80.51 |
From the above table all three trucks are quite close, with less than 4 points between them.
The Shire operates a fleet of different makes and models of trucks, and is equipped to handle the servicing and maintenance of these trucks.
The Fully Automatic option on the Fuso will make driving and operating the trucks easier for operators, lowering possible distractions and lessening fatigue. The fully automatic gearbox and PTO will allow for simpler operation without sacrificing tipping capabilities.
Consultation
Workshop Supervisor
Plant Operators
Company Representatives
WALGA
Works Supervisors
Director of Engineering Services
Financial Implications
Council has allocated $169,744.00 (excluding GST) net changeover in its 2014/15 Budget. The net actual changeover for this Truck is $31,734.00 (excluding GST) under budget. See confidential attachment for quotation comparison.
Asset Management Implications
It is important to ensure that fleet is changed over at the optimal time whereby a suitable trade value is obtained while limiting the need to undertake significant maintenance on plant prior to trading. This ensures that the Shire keeps a modern, up-to-date fleet that is capable of undertaking the significant work required within the Shire of Esperance.
This replacement is in accordance with Council’s adopted Fleet Asset Management Plan and the 10 Year Plant Replacement Program contained within.
Statutory Implications
Local Government (Functions and General) Regulations 1996 Part 4 and Section 3.57 of the Local Government Act 1995.
Policy Implications
Nil
Strategic Implications
Strategic Community Plan 2012-2022
Economic
3.1 Deliver a diverse range of affordable services and infrastructure across the Shire.
3.3 Deliver and advocate for a diverse and safe transport system which is efficient and meets the needs of all users.
3.5 Maintain the Shire’s robust asset management practices and maintenance programs.
Environmental Considerations
Nil
|
a. |
RFQ 15/14 - Truck Comparison for Council - Confidential |
|
|
That Council 1. Not accept the outright purchase offer from Smith Broughton & Sons, or Allused under WALGA disposal tender RFT 055_14 (Plant 4); and 2. Accept quotation RFQ 15/14 from Daimler Trucks for the supply, delivery and licensing of one new FS52 8-wheel Tip Truck as specified, utilising trade of the Shire’s existing 2009 FS500 8-wheel Tip Truck for a net changeover of $138,010.00. Voting Requirement Simple Majority
|
24 February 2015 Page 117
Financial Services Report - January 2015
|
Author/s |
Beth O'Callaghan |
Manager Financial Services |
|
Authorisor/s |
Shane Burge |
Director Corporate Resources |
File Ref: D15/4144
|
a. |
Monthly Financial Management Report January 2015 |
|
|
That the report entitled Monthly Financial Management Report (incorporating the Statement of Financial Activity and the Accounts for Payment) for the month of January as attached be received. Voting Requirement Simple majority
|
24 February 2015 Page 170
Information Bulletin - February 2015
|
Author/s |
Helen Hall |
Executive Assistant |
|
Authorisor/s |
Matthew Scott |
Chief Executive Officer |
File Ref: D15/2884
Applicant
Internal
|
a. |
Information Bulletin - February |
|
|
b. |
Minutes - GVROC - 06 November 2014 |
|
|
c. |
Minutes - GVROC - 28 November 2014 |
|
|
d. |
Life Saving Western Australia |
|
|
e. |
Letter of Support - ERF - Lake Monjingup |
|
|
That Council accept the Information Bulletin for February 2015 including; 1. Minutes for the GVROC meeting held 6 November 2014 2. Minutes for the GVROC meeting held 28 November 2014 3. Thank You Letter from Surf Life Saving Western Australia 4. Letter of Support – Esperance Regional Forum – Lake Monjingup Voting Requirement Simple majority
|
Ordinary Council: Agenda
24 February 2015 Page 172


Shire of Esperance
COUNCILLOR’S INFORMATION BULLETIN
ORDINARY COUNCIL MEETING
24 February 2015
DISCLAIMER
No responsibility whatsoever is implied or accepted by the Shire of Esperance for any act, omission or statement or intimation occurring during Council or Committee meetings. The Shire of Esperance disclaims any liability for any loss whatsoever and howsoever caused arising out of reliance by any person or legal entity on any such act, omission or statement or intimation occurring during Council or Committee meetings. Any person or legal entity who acts or fails to act in reliance upon any statement, act or omission made in a Council or Committee meeting does so at that person’s or legal entity’s own risk.
In particular and without derogating in any way from the broad disclaimer above, in any discussion regarding any planning application or application for a licence, any statement or intimation of approval made by a member or officer of the Shire of Esperance during the course of any meeting is not intended to be and is not to be taken as notice of approval from the Shire of Esperance. The Shire of Esperance warns that anyone who has any application lodged with the Shire of Esperance must obtain and should only rely on written confirmation of the outcome of the application, and any conditions attaching to the decision made by the Shire of Esperance in respect of the application.
ETHICAL DECISION MAKING AND CONFLICTS OF INTEREST
Council is committed to a code of conduct and all decisions are based on an honest assessment of the issue, ethical decision-making and personal integrity. Councillors and staff adhere to the statutory requirements to declare financial, proximity and impartiality interests and once declared follow the legislation as required.
Ordinary Council: Agenda
24 February 2015 Page 175
|
Building Applications Approved from 1 January 2015 to 31 January 2015 |
|
Building Licences |
|
Cost $ Excluding Land |
|
Floor Area Sq.M |
|
No of Buildings |
|
Main Material of Floor |
|
Roof Covering |
|
Materials of External Walls |
|
Type of Building |
|
Situation of Building |
|
Reg No |
|
Builder Name & Address |
|
Licence Number |
|
Name & Address of Owner |
|
Type of Work |
|
Approval Date |
|
New Building |
|
Office Building |
|
20/01/2015 |
|
15736 |
|
WBS Group Pty Ltd 98 Byfield Street NORTHAM WA 6401 |
|
7 Currong Street CHADWICK |
|
Lot: 744 Pln: 29799 |
|
13794 |
|
Steel |
|
Steel |
|
Concrete |
|
30.0 |
|
1 |
|
10,000.00 |
|
New Building |
|
Warehouse Building |
|
Steel |
|
Steel |
|
Concrete |
|
960.0 |
|
1 |
|
380,000.00 |
|
New Building |
|
Carport |
|
19/01/2015 |
|
15852 |
|
P S Harvey Lot 120 Sanctuary Crescent PINK LAKE WA 6450 |
|
Sanctuary Crescent PINK LAKE |
|
Lot: 120 Pln: 42943 |
|
Steel |
|
Steel |
|
Concrete |
|
64.0 |
|
1 |
|
15,000.00 |
|
New Building |
|
Patio |
|
28/01/2015 |
|
15862 |
|
C G Jennings 71A Westmacott Street CASTLETOWN WA 6450 |
|
71A Westmacott Street CASTLETOWN |
|
Lot: 761 Pln: 214231 |
|
Steel |
|
Concrete |
|
62.0 |
|
1 |
|
6,000.00 |
|
New Building |
|
Garage/Shed |
|
05/01/2015 |
|
15896 |
|
M J Vickers 1 Hart Place CASTLETOWN WA 6450 |
|
9 Asken Turn BANDY CREEK |
|
Lot: 273 Pln: 69443 |
|
Steel |
|
Steel |
|
Concrete |
|
54.0 |
|
1 |
|
10,000.00 |
|
Demolition |
|
Dwelling ‑ Single |
|
05/01/2015 |
|
15897 |
|
R W Franceschi 27 Emily Street ESPERANCE WA 6450 |
|
Barook Road PINK LAKE |
|
Lot: 99 Pln: 25595 |
|
Steel |
|
Steel |
|
Timber |
|
72.0 |
|
1 |
|
2,000.00 |
|
New Building |
|
Patio |
|
16/01/2015 |
|
15901 |
|
T M Reed Address Unknown |
|
144 Burton Road CASTLETOWN |
|
Lot: 232 Pln: 1376 |
|
Steel |
|
Concrete |
|
152.0 |
|
1 |
|
15,000.00 |
|
Relocation |
|
Dwelling ‑ Single |
|
29/01/2015 |
|
15909 |
|
R W Franceschi 27 Emily Street ESPERANCE WA 6450 |
|
Barook Road PINK LAKE |
|
Lot: 24 Pln: 52171 |
|
Steel |
|
Steel |
|
Timber |
|
72.0 |
|
1 |
|
18,000.00 |
|
New Building |
|
Dwelling ‑ Single |
|
08/01/2015 |
|
15913 |
|
WA Country Builders 96‑102 Stirling Terrace ALBANY WA 6330 |
|
41 Amelia Circuit WEST BEACH |
|
Lot: 241 Pln: 23781 |
|
11422 |
|
Brick, double |
|
Steel |
|
Concrete |
|
242.0 |
|
1 |
|
282,812.00 |
|
Demolition |
|
Dwelling ‑ Single |
|
08/01/2015 |
|
15915 |
|
Wrinkly Tin & Cladding Company Pty Ltd 3 Corry Street ESPERANCE WA 6450 |
|
79 The Esplanade ESPERANCE |
|
Lot: 23 Pln: 919 |
|
Timber |
|
Steel |
|
Timber |
|
1 |
|
5,000.00 |
|
New Building |
|
Office Building |
|
21/01/2015 |
|
15917 |
|
Owner/Builder |
|
D & J M Durrant PO Box 6139 ESPERANCE WA 6450 |
|
3A Rogers Street CHADWICK |
|
Lot: 1 Pln: 67219 |
|
OB/0988/14 |
|
OB/0988/14 |
|
Steel |
|
Steel |
|
Concrete |
|
40.0 |
|
1 |
|
15,000.00 |
|
New Building |
|
Retail Building |
|
Steel |
|
Steel |
|
Concrete |
|
40.0 |
|
1 |
|
15,000.00 |
|
New Building |
|
Dwelling ‑ Single |
|
20/01/2015 |
|
15918 |
|
H J Trocinski 4 Magnolia Crescent CASTLETOWN WA 6450 |
|
|
|
CASTLETOWN |
|
Lot: 980 Pln: 52175 |
|
S414 |
|
Timber |
|
Other |
|
Concrete |
|
309.0 |
|
1 |
|
245,000.00 |
|
Alterations |
|
Pool ‑ Private |
|
16/01/2015 |
|
15920 |
|
J C Jose 34 Emily Street ESPERANCE WA 6450 |
|
|
|
34 Emily Street ESPERANCE |
|
Lot: 715 Pln: 13230 |
|
Concrete |
|
1 |
|
8,000.00 |
|
Refurbishment |
|
Club/Community Building |
|
30/01/2015 |
|
15922 |
|
B D Partington 7 Orr Street WEST BEACH WA 6450 |
|
|
|
2/99 Dempster Street ESPERANCE |
|
S/L: 2 S/P: 17017 |
|
9177 |
|
Steel |
|
Concrete |
|
243.0 |
|
1 |
|
10,000.00 |
|
$1,036,812.00 |
|
13 |
|
Total number of Building Licences: |
|
Building Approval Certificates (Unauthorised Structures) |
|
Page 1 of 2 |
|
Item: 12.6.1 |
Attachment b.: Interplan Report - February |
|
Building Applications Approved from 1 January 2015 to 31 January 2015 |
|
Building Approval Certificates (Unauthorised Structures) |
|
Cost $ Excluding Land |
|
Floor Area Sq.M |
|
No of Buildings |
|
Main Material of Floor |
|
Roof Covering |
|
Materials of External Walls |
|
Type of Building |
|
Situation of Building |
|
Reg No |
|
Builder Name & Address |
|
Licence Number |
|
Name & Address of Owner |
|
Type of Work |
|
Approval Date |
|
New Building |
|
Dwelling ‑ Single |
|
22/01/2015 |
|
15881 |
|
R F Dixon 8 Hood Way CASTLETOWN WA 6450 |
|
8 Woody Avenue CASTLETOWN |
|
Lot: 1037 Pln: 58988 |
|
Fibre Cement |
|
Steel |
|
Concrete |
|
1 |
|
3,000.00 |
|
$3,000.00 |
|
1 |
|
Total number of Building Approval Certificates (Unauthorised Structures): |
|
Total number of Licences/Certificates Reported: |
|
14 |
|
$1,039,812.00 |
|
I certify to the best of my knowledge and belief, the particulars given in this return are a true and complete record of proposed building operations known to this local authority. |
|
Signature ........................................... Date ........................................... (Senior Building Surveyor) |
|
Page 2 of 2
|
























































































Ordinary Council: Agenda
24 February 2015 Page 263
24 February 2015 Page 264
Goldfields Voluntary Regional Organisation of Councils (GVROC) Meeting
Thursday 6 November 2014
In-Person Meeting
Councillors Conference Room
City of Kalgoorlie-Boulder
MINUTES
CONTENTS
1. OPENING AND ANNOUNCEMENTS
1.1 Election of Chair
2. DECLARATION OF INTEREST
3. RECORD OF ATTENDANCE, APOLOGIES AND LEAVE OF ABSENCE
3.1 Attendance
3.2 Apologies
4. GUEST SPEAKERS/PRESENTATIONS
4.1 Presentation on Municipal Services in Aboriginal Communities (Attachments) (3.01pm)
5. MINUTES OF MEETINGS
5.1 Minutes of a Meeting of the Goldfields Voluntary Regional Organisation of Councils (GVROC) Council held Wednesday 6 August 2014 (Attachment)
5.2 Minutes of a Meeting of the Goldfields Voluntary Regional Organisation of Councils (GVROC) Council held Friday 29 August 2014 (Attachment)
5.3 Minutes of a Meeting of the Goldfields Voluntary Regional Organisation of Councils (GVROC) Technical Officers Working Group held Friday 5 September 2014 (Attachment)
5.4 Business Arising from Meetings of the Goldfields Voluntary Regional Organisation of Councils (GVROC) held between Wednesday 6 August and Friday 4 September 2014 inclusive - GVROC Status Report
5.5 Matters for Noting (Attachments)
6. FINANCE
6.1 Financial Statements for 30 September 2014 (Attachment)
6.2 List of Accounts Paid
7. GOLDFIELDS RECORDS STORAGE - FINANCE AND OTHER MATTERS
7.1 Financial Statement for the Period ending 30 September 2014 (Attachments)
8. GVROC BUSINESS
8.1 Tjukayirla Roadhouse Road Landing Strip
8.2 Animal Welfare Issues across the Goldfields Esperance Region
8.3 Preparation of a Submission Detailing the Negative Impact of State Government Policy on Town Development across the Goldfields Esperance Region
8.4 Country Local Government Fund – 2012/2013 Regional Group Projects Applications – Update on the GVROC Solar PV Project and the GVROC LED Streetlight Project
8.5 RV Status for the Goldfields Esperance Region
8.6 Training for Country Local Governments
8.7 Provision of Municipal Services in Aboriginal communities
8.8 Local Government Representation to the Great Southern District Emergency Management Committee
8.9 GRV Rating of Mining Interests. 33
9. LATE ITEMS as notified, introduced by decision of the Meeting
9.1 Eastern Goldfields Miner’s Memorial
10. FUTURE MEETINGS/FUNCTIONS
11. CLOSURE OF MEETING
Goldfields Voluntary Regional Organisation of Councils (GVROC)
An in-person meeting of the GVROC Council will be held Thursday 6 November 2014 commencing at 2.03pm.
MINUTES
1. OPENING AND ANNOUNCEMENTS
The purpose of the meeting is to discuss business related to the activities of the Goldfields Voluntary Regional Organisation of Councils.
1.1 Election of Chair
The GVROC CEO Don Burnett advised the meeting that the Chair Mayor Ron Yuryevich was an apology and the Deputy Chair Cr Rob Wedge had not yet arrived at the meeting.
Mr Burnett invited nominations for Chair until Cr Wedge arrived.
Cr Stewart nominated Cr Cullen
There being no further nominations Cr Cullen was elected and took the chair and opened the meeting at 2.03pm.
2. DECLARATION OF INTEREST
Pursuant to the Code of Conduct, Councillors and CEOs must declare to the Chairman any potential conflict of interest they may have in a matter before the Goldfields Voluntary Regional Organisation of Councils as soon as they become aware of it. Councillors, CEOs and Deputies may be directly or indirectly associated with some recommendations of the Goldfields Voluntary Regional Organisation of Councils. If you are affected by these recommendations, please excuse yourself from the meeting and do not participate in deliberations.
3. RECORD OF ATTENDANCE, APOLOGIES AND LEAVE OF ABSENCE
3.1 Attendance
Cr Rob Wedge (Chair from 2.08pm) Deputy President, Shire of Laverton
Cr Mal Cullen (Chair until 2.08pm) President, Shire of Coolgardie
Mr Paul Webb CEO, Shire of Coolgardie
Mr Richard Brookes CEO, Shire of Dundas
Cr Malcolm Heasman President, Shire of Esperance
Cr Beverley Stewart Councillor, Shire of Esperance
Mr Matthew Scott CEO, Shire of Esperance
Cr Suzie Williams Councillor, City of Kalgoorlie-Boulder
Mr Don Burnett CEO, City of Kalgoorlie-Boulder
Cr Beatrice Fuamatu (joined the meeting at 2.08pm) Councillor, Shire of Laverton
Mr Graham Stanley (joined the meeting at 2.08pm) A/CEO Shire of Laverton
Cr Peter Craig Shire of Leonora
Mr Jim Epis CEO, Shire of Leonora
Cr Greg Dwyer President, Shire of Menzies
Mr Peter Crawford CEO, Shire of Menzies
Ms Karen Oborn DCEO, Shire of Menzies
Cr Damian McLean (joined the meeting at 2.21pm via teleconference) President, Shire of Ngaanyatjarraku
Mr Chris Paget (joined the meeting at 2.21pm via teleconference) CEO, Shire of Ngaanyatjarraku
Cr Ian Goldfinch President, Shire Ravensthorpe
Cr Ken Norman Councillor, Shire of Ravensthorpe
Mr Ian Fitzgerald CEO, Shire of Ravensthorpe
Cr Jim Quadrio President, Shire of Wiluna
Cr Graham Harris Deputy President, Shire of Wiluna
Mr Bruce Wittber, Joint Executive Officer
3.2 Apologies
Cr Jacquie Best, President Shire of Dundas
Mayor Ron Yuryevich AM RFD, Mayor City of Kalgoorlie-Boulder
Cr Patrick Hill, President Shire of Laverton
Mr Steven Deckert, CEO Shire of Laverton
Ms Helen Westcott, Joint Executive Officer
3.3 Guests
Mr Scott Hollingworth, Executive Director Strategy, Research and Initiatives, Department of Local Government and Communities
Ms Kelly McIntyre, Strategic Advisor – Aboriginal Community Development, Department of Local Government and Communities
4. GUEST SPEAKERS/PRESENTATIONS
4.1 Presentation on Municipal Services in Aboriginal Communities (Attachments) (3.01pm)
The Department of Local Government and Communities (the Department) has requested time to meet and discuss with Member Councils the provision of municipal services in Aboriginal communities.
The purpose of the Department’s meeting is to discuss the points raised in recent emails sent to all local governments with Aboriginal communities by the Department’s Director.
The Department’s representatives are Mr Scott Hollingworth, Executive Director Strategy, Research and Initiatives and Ms Kelly McIntyre, Strategic Advisor – Aboriginal Community Development. In addition to providing an update on this issue the Department is also interested to hear of any further concerns the Member Councils may have.
The presentation was held following consideration by the meeting of Item 8.4
5. MINUTES OF MEETINGS
5.1 Minutes of a Meeting of the Goldfields Voluntary Regional Organisation of Councils (GVROC) Council held Wednesday 6 August 2014 (Attachment)
Minutes of the GVROC Council Meeting held Wednesday 6 August 2014 have been circulated to Member Councils.
RECOMMENDATION:
That the Minutes of the GVROC Council Meeting held Wednesday 6 August 2014 be confirmed as a true and correct record of proceedings.
EN BLOC RESOLUTION: Moved: Cr Harris Seconded: Cr Goldfinch
That the Minutes of the GVROC Council Meeting held Wednesday 6 August 2014 be confirmed as a true and correct record of proceedings subject to the following amendments:
§ Page 3 – 3.1 Attendance – insert President after Cr Craig’s name;
§ Page 9 - 6.1 Financial Statements for the Period ending 30 June 2014 – amend “Mr Craig” in resolution to “Cr Craig”; and
§ Page 29 - 8.8 Goldfields Esperance Tourism Plan – amend “Craig” in resolution to “Cr Craig”.
CARRIED
5.2 Minutes of a Meeting of the Goldfields Voluntary Regional Organisation of Councils (GVROC) Council held Friday 29 August 2014 (Attachment)
Minutes of the GVROC Council Meeting held Friday 29 August 2014 have been circulated to Member Councils.
RECOMMENDATION:
That the Minutes of the GVROC Council Meeting held Friday 29 August 2014 be confirmed as a true and correct record of proceedings.
EN BLOC RESOLUTION: Moved: Cr Harris Seconded: Cr Goldfinch
That the Minutes of the GVROC Council Meeting held Friday 29 August 2014 be confirmed as a true and correct record of proceedings.
CARRIED
5.3 Minutes of a Meeting of the Goldfields Voluntary Regional Organisation of Councils (GVROC) Technical Officers Working Group held Friday 5 September 2014 (Attachment)
Minutes of the GVROC Technical Officers Working Group Meeting held Friday 5 September 2014 have been circulated to Member Councils.
RECOMMENDATION:
That the Minutes of the Meeting of the GVROC Technical Officers Working Group held Friday 5 September 2014 be received.
EN BLOC RESOLUTION: Moved: Cr Harris Seconded: Cr Goldfinch
That the Minutes of the Meeting of the GVROC Technical Officers Working Group held Friday 5 September 2014 be received.
CARRIED
5.4 Business Arising from Meetings of the Goldfields Voluntary Regional Organisation of Councils (GVROC) held between Wednesday 6 August and Friday 4 September 2014 inclusive - GVROC Status Report
The Executive Officer tabled a Status Report for Member Councils information.
RECOMMENDATION:
That the GVROC Status Report be received.
EN BLOC RESOLUTION: Moved: Cr Harris Seconded: Cr Goldfinch
That the GVROC Status Report be received.
CARRIED
5.5 Matters for Noting (Attachments)
The following papers are presented for noting:
§ Communique from the South Coast Natural Resource Management Board Meeting held Thursday 14 August 2014;
§ Minutes from the Goldfields Esperance District Emergency Management Committee Meeting held Tuesday 2 September 2014;
§ Goldfields Esperance District Emergency Management Committee Annual Business Plan 2014 – 2015; and
§ DAFWA SOP Livestock Standstill Jan 2014. Operational Guidelines for WA Police - Draft
RECOMMENDATION:
That the papers detailed in Item 5.5 be noted.
EN BLOC RESOLUTION: Moved: Cr Harris Seconded: Cr Goldfinch
That the papers detailed in Item 5.5 be noted.
CARRIED
2.08pm Cr Wedge, Cr Fuamatu and Mr Stanley, Shire of Laverton entered the meeting
Cr Wedge assumed the Chair
6. FINANCE
6.1 Financial Statements for 30 September 2014 (Attachment)
From Executive Officer
Background:
Presenting the unaudited financial statement for the period 1 July 2014 to 30 September 2014
Executive Officer Comment:
The Executive Officer provides the following comment:
1. Account 501 - Members subscriptions – at the end of September two subscriptions were outstanding however they have been paid during October;
2. Account 502 – Members subscriptions Goldfields District Display – see previous note
3. Account 512 - Project General Contributions;
4. Account 515 - DLG Grant Asset Management – these funds have been transferred from the City of Kalgoorlie-Boulder;
5. Account 1836 – Sponsorship Goldfields District Display – expenditure to assist the preparation of the Royal Show District Display; and
6. Account 1848 – DLG Asset Management Business Case – this project is being managed by the City of Kalgoorlie-Boulder and the payment is a reimbursement of expenses incurred by the City in undertaking the project.
RECOMMENDATION:
That the Statement of Financial Position for the period ending 30 September 2014, as attached, be received.
RESOLUTION: Moved: Cr Cullen Seconded: Mr Epis
That the Statement of Financial Position for the period ending 30 September 2014, as attached, be received.
CARRIED
6.2 List of Accounts Paid
From Executive Officer
Executive Officer Comment:
Accounts paid during the period 29 July 2014 to 31 October 2014
Accounts Paid:
|
Cheque |
Date |
Payee |
For |
Amount incl GST |
|
EFT |
140814 |
Up to Date Accounting |
Accounting Services – July 2014 |
554.40 |
|
EFT |
180914 |
Up to Date Accounting |
Accounting Services – August 2014 |
211.20 |
|
EFT |
180914 |
WALGA |
Meeting Expenses Local Government Week 2014 |
602.91 |
|
EFT |
180914 |
Goldfields Tourism Network |
50% Contribution to Royal Show District Display |
13,200.00 |
|
EFT |
081014 |
BHW Consulting |
Reimbursement of expenses May 2014, June 2014 and July 2014 |
3,424.14 |
|
EFT |
141014 |
Up to Date Accounting |
Accounting Services – September 2014 |
66.00 |
|
TOTAL $18,058.65 |
||||
RECOMMENDATION:
That the Accounts Paid for the period 29 July 2014 to 31 October 2014 totalling $18,058.65 be approved.
RESOLUTION: Moved: Cr Stewart Seconded: Cr Harris
That the Accounts Paid for the period 29 July 2014 to 31 October 2014 totalling $18,058.65 be approved.
CARRIED
7. GOLDFIELDS RECORDS STORAGE - FINANCE AND OTHER MATTERS
7.1 Financial Statement for the Period ending 30 September 2014 (Attachments)
Reporting Officer: Don Burnett, CEO City of Kalgoorlie-Boulder
Helen Westcott, Executive Officer
Disclosure of Interest: No interest to disclose
Date: 29 October 2014
Attachments: Financial Statement for the Period ending 30 September 2014
Goldfields Records Storage Progress Report July-September 2014
Sensis Report for the Goldfields Records Storage Facility for September 2014
Executive Officer Comment:
No further comment.
Consultation: Nil
Voting Requirement: Simple majority
RECOMMENDATION:
That the:
1. Statement of Financial Position for the period ending 30 September 2014, as attached, be received;
2. Goldfields Records Storage Progress Report July-September 2014 be noted; and
3. Sensis Report for the Goldfields Records Storage Facility for September 2014 be noted.
RESOLUTION: Moved: Cr Williams Seconded: Cr Craig
That the:
1. Statement of Financial Position for the period ending 30 September 2014, as attached, be received;
2. Goldfields Records Storage Progress Report July-September 2014 be noted; and
3. Sensis Report for the Goldfields Records Storage Facility for September 2014 be noted.
CARRIED
8. GVROC BUSINESS
8.1 Tjukayirla Roadhouse Road Landing Strip
Reporting Officer: Steve Deckert, Shire of Laverton
Helen Westcott, Executive Officer
Disclosure of Interest: Nil
Date: 22 October 2014
Attachments: Correspondence from the Flying Doctor Service to the Shire of Laverton
Background:
At the Technical Officers Working Group Meeting held Friday 27 September 2013 the Shire of Laverton advised Member Councils of the Civil Aviation Authority’s decision to remove permission for the use of the Tjukayirla Roadhouse Road Landing Strip. At this time the Shire expressed concern at the decision because it meant that unless an authorised strip is constructed in the vicinity of the roadhouse the health of those living within the surrounding indigenous communities would be put at possible risk. It also advised that it had submitted an application for funding to construct an airstrip that would run parallel to the road.
Following discussion of the matter it was resolved as follows:
RESOLUTION Moved: Steve Deckert Seconded: Jim Epis
That:
1. Member Councils provide the Executive Officer with information on how they will be impacted by the decision of the Civil Aviation Authority to remove permission for the Flying Doctor Service to use roads as emergency landing strips; and
2. The Executive Officer write to the Civil Aviation Authority to seek further information on its decision to remove permission for the Flying Doctor Service to use roads as emergency landing strips and what measures are being put in place to develop alternative landing strips for affected sites.
CARRIED
Executive Officer Comment:
Since that time the Executive has been unable to write to the Civil Aviation Authority (CAA) as Member Councils have not provided information on how they might be impacted by the CAA decision.
In looking to provide Member Councils with an update on this matter the Executive Officer emailed the Shire of Laverton to seek further information on the matter.
In an email dated Wednesday 22 October 2014 the CEO Shire of Laverton advised that:
§ the Shire has ascertained that CASA has not implemented any change so it would seem that the Royal Flying Doctor Service (RFDS) has misinformed the Shire and are self-imposing tougher conditions; and
§ it may well be that the tougher conditions have less impact on the other emergency strips in the State, particularly where the strip is either less isolated or has a greater number of people in the general area that can be called upon to lend assistance than at the Tjukayirla Roadhouse strip.
As it seems that it is more impacted than other Shires, the Shire of Laverton has suggested that in the first instance it will make a deputation to the RFDS to discuss and clarify the situation. Depending on the outcome of the discussions with RFDS, the Shire believes the matter it will either be resolved, or if not, the Shire can then bring the matter back to GVROC to take up on a regional basis.
On this basis, the Shire has requested that the item be removed from the GVROC Status Report until such time the Shire of Laverton has met with the RFDS.
Consultation: Nil
Voting Requirement: Simple majority
RECOMMENDATION:
That the matter of the Tjukayirla Roadhouse Road Landing Strip lay on the table until such time as the Shire of Laverton requests the matter be reconsidered.
RESOLUTION Moved: Cr Craig Seconded: Cr Harris
That the matter of the Tjukayirla Roadhouse Road Landing Strip lay on the table until such time as the Shire of Laverton requests the matter be reconsidered.
CARRIED
8.2 Animal Welfare Issues across the Goldfields Esperance Region
Reporting Officer: Helen Westcott, Executive Officer
Disclosure of Interest: No interest to disclose
Date: 22 October 2014
Attachments: Nil
Background:
The issue of animal welfare across the Goldfields Esperance Region has been a topic of discussion for some period of time. At the GVROC Meeting held on Friday 13 June 2014 it was agreed that the issue of animal welfare remain an item for discussion at future GVROC Council Meetings.
At the GVROC Council Meeting held on Wednesday 6 August 2014, the CEO City of Kalgoorlie-Boulder reported that David van Auren, CEO RSPCA, was preparing a costing for a State-wide proposal for the RSPCA to undertake animal welfare work across the whole State. Currently the RSPCA works largely within the Perth metropolitan area.
The application for funding would be made through the Regional Cities Alliance of which the City of Kalgoorlie-Boulder is a member.
Executive Officer Comment:
The City of Kalgoorlie-Boulder will provide an update on the application for funding. Other Member Councils might also wish to make comment.
Consultation: Nil
Voting Requirement: Simple majority
RECOMMENDATION:
That report provided by the City of Kalgoorlie-Boulder be noted.
RESOLUTION: Moved: Cr Goldfinch Seconded: Cr Harris
That report provided by the City of Kalgoorlie-Boulder be noted.
CARRIED
8.3 Preparation of a Submission Detailing the Negative Impact of State Government Policy on Town Development across the Goldfields Esperance Region
Reporting Officer: Helen Westcott, Executive Officer
Disclosure of Interest: Nil
Date: 22 October 2014
Attachments: Nil
Background:
At the meeting of the GVROC Council held Friday 13 June 2014 the negative impact of State Government policy on town development within the Shires of Coolgardie and Wiluna was raised for discussion, with Member Councils resolving as follows:
RESOLUTION: Moved: Cr Cullen Seconded: Cr Harris
1. That WALGA be requested to include the issues raised by the Shires of Coolgardie and Wiluna in the next meeting agenda of the WALGA Mining Policy Forum Agenda; and
2. That the GVROC develop a submission detailing the negative impact of State Government policy on town development across the Goldfields Esperance region, with the submission being forwarded to the Premier with a request to meet him to discuss the submission.
CARRIED
A number of requests for information have been made by the Executive Officer. To date, only the Shire of Coolgardie has provided information as per the Executive Officer’s request.
The matter was listed for discussion at the Technical Officers Working Group Meeting held on Friday 5 September 2014, with the matter being resolved as follows:
RESOLUTION: Moved: Peter Crawford Seconded: Jim Epis
That the GVROC Technical Officers Working Group recommend to the GVROC Council that a meeting be requested with the Chair and CEO of Goldfields Esperance Development Commission with the view to facilitating a meeting with the Minister for Mines and Petroleum, Hon Bill Marmion MLA, to discuss the negative impact of State Government policy on town development across the Goldfields Esperance region.
CARRIED
Executive Officer Comment:
No further comment.
Consultation: Nil
Voting Requirement: Simple majority
RECOMMENDATION:
That GVROC seek a meeting with the Chair and CEO of the Goldfields Esperance Development Commission with the view to facilitating a meeting with the Minister for Mines and Petroleum, Hon Bill Marmion MLA, to discuss the negative impact of State Government policy on town development across the Goldfields Esperance region.
RESOLUTION: Moved: Cr Quadrio Seconded: Cr Williams
That GVROC seek a meeting with the Chair and CEO of the Goldfields Esperance Development Commission with the view to facilitating a meeting with the Minister for Mines and Petroleum, Hon Bill Marmion MLA, to discuss the negative impact of State Government policy on town development across the Goldfields Esperance region.
CARRIED
2.21pm Cr McLean and Mr Paget Shire of Ngaanyatjarraku joined the meeting via telephone
2.22pm Mr Hollingworth and Ms McIntyre Department of Local Government and Communities entered the meeting
8.4 Country Local Government Fund – 2012/2013 Regional Group Projects Applications – Update on the GVROC Solar PV Project and the GVROC LED Streetlight Project
Reporting Officer: Don Burnett, CEO City of Kalgoorlie-Boulder
Ryan Wilson Sustainability Officer, City of Kalgoorlie-Boulder
Helen Westcott, Executive Officer
Disclosure of Interest: Nil
Date: 22 October 2014
Attachments: Correspondence from Minister for Energy regarding the Gazettal of the new LED Tariffs
Background:
As Member Councils will be aware, it was resolved at the GVROC Council Meeting held on Wednesday 1 August 2012 to submit an application for CLGF funding in 2012/2013 for renewable energy and energy efficient projects, with Member Councils resolving as follows:
RESOLUTION: Moved: Cr Cullen Seconded: Cr Petz
That for the 2012/2013 round of regional CLGF funding, the Goldfields Voluntary Regional Organisation of Councils:
1. Submit an alternate energy project for the region with the pool of funding for the project to be determined by Member Councils, with Member Councils notifying the Executive Officer of their intention to participate in the project no later than Friday 31 August 2012;
2. That the City of Kalgoorlie-Boulder be given delegate authority to commence preparation of a business case for the alternate energy project, with the business case to look at participating Member Councils using funds from both the 2012/2013 and 2013/2014 allocations of regional CLGF funds;
3. Request the Goldfields Esperance Development Commission provide funding for the preparation of a business cases for GVROC Member Councils for the following projects in the 2012/2013 regional CLGF round of funding:
a) Retro-fitting of lighting and renewable energy power generation;
b) Regional waste management;
c) Norseman gateway project; and
d) A project for the Shires of Laverton and Ngaanyatjarraku (still to be determined); and
1. Give delegated authority to the GVROC Technical Officers Working Group to prepare and submit business cases for projects, other than the alternate energy project, agreed to for the 2012/2013 round of regional CLGF funds.
CARRIED
Since that time and following approval for the projects, the City of Kalgoorlie-Boulder as the Lead Council for the project has provided regular project updates.
Mr Greg Benvenuti, Senior Engineer - Manager Goldfields Region EMC has also met with Member Councils to brief Member Councils on the street lighting project.
The GVROC’s consultant for the street lighting project, EMC, has also submitted a final technical analysis for the project.
When the City of Kalgoorlie-Boulder provided a project update to the GVROC Council at a meeting held on Wednesday 6 August 2014 it was resolved as follows:
RESOLUTION: Moved: Cr Conklin Seconded: Mr Webb
That the GVROC Technical Officers Working Group undertake further work on the GVROC alternate energy project, with a report to be prepared for consideration at the GVROC Council Meeting to be held on Friday 24 October 2014.
CARRIED
At the Technical Officers Working Group Meeting held on Friday 5 September 2014 Don Burnett, CEO City of Kalgoorlie-Boulder, and Ryan Wilson, the City’s Sustainability Officer, provided a detailed report on the projects to that time. Notes from that meeting’s agenda are provided below.
LED Streetlight Project
This project is at a crucial point in its development, as the project plans for both the Esperance Leonora and the Laverton, Menzies and Dundas components have been approved by CEEP and GVROC through the City (as project lead) is now working to concrete milestone deadlines. The City/GVROC are bound to these milestones and the next one falls on 17 October 2014, for which streetlights for all participating shires must be ordered. A detailed communications plan must also be completed. Lisa Cunningham from Mango Leadership will be presenting on the formulation and implementation of this communications plan.
§ Horizon Power Tax Liability/Ownership of Lights
There has also been a significant development in recent weeks that needs to be addressed by GVROC CEOs immediately.
Horizon Power has indicated that for them to take ownership of the LED lights will result in a 27.6% tax liability associated with receiving ‘gifted assets’ that would be passed on to GVROC shires. This amounts to a $1.1M dollar impost that would need to be paid out of project funds. The federal department providing half of the project funds (CEEP) has indicated they are unable to allow their funds to pay for tax liabilities. As such, the only option is for participating shires (Esperance, Leonora, Laverton, Menzies and Dundas) to take ownership of the lights.
In discussion with the Esperance Regional Manager from Horizon Power, it was agreed that the best approach to this issue is for GVROC CEOs to outline a scenario that involves taking ownership of the LED lights that is acceptable to participating shires and submit this to Horizon Power for them to accept. One such scenario for GVROC CEOs to discuss is outlined below:
§ Shires of Esperance, Leonora, Laverton, Menzies and Dundas take ownership of all new LED lights scheduled for installation in their respective shires;
§ Horizon Power maintains responsibility for operation, maintenance and future replacement of all new LED lights installed;
§ Current streetlight tariffs are retained until new LED tariffs are gazetted;
§ New LED tariffs are submitted for gazettal in January 2015; and
§ When new LED tariffs are gazetted, (July 2015) installed streetlights are switched over to these tariffs.
If these conditions are agreed upon by both parties, there will be no additional burden placed on participating shires, but it will allow for the elimination of the tax liability associated with Horizon Power receiving ‘gifted assets’. The City will submit these conditions to Horizon Power for approval and ensure Horizon Power is made aware that to comply with CEEP milestone deadlines they must respond by the end of September to facilitate the ordering of all streetlights.
The tendering process for acquisition of lights will be run by Horizon Power, with installation completed by Horizon Power and their subcontractors. There will be no burden placed on GVROC shires for these processes, as project management is being coordinated by consultants from Enigin and held accountable by the City of Kalgoorlie-Boulder. Participation of shires that are having lights installed will be required for the communications aspect of this project. Lisa Cunningham will be outlining this requirement for participation in her presentation.
§ Projected Benefits
The projected financial benefit to GVROC shires resulting from this project is outlined in Table 1 below. Financial benefit was calculated using the estimated new tariffs for LED lights to be gazetted by July 2015.
|
Town |
Number of Streetlights |
Projected Expenditure ($) |
Projected Savings ($/yr) |
|
Esperance |
1,691 |
2,296,300 |
65,424 |
|
Leonora |
265 |
663,691 |
7,761 |
|
Laverton |
166 |
415,153 |
11,115 |
|
Norseman |
268 |
398,566 |
11,631 |
|
Menzies |
48 |
125,491 |
1,721 |
|
Total |
2,438 |
3,899,201 |
97,652 |
Table 1
A spreadsheet detailing the projected benefits forms an attachment to the meeting agenda. The spreadsheet also details projected benefits for the solar PV energy project and a distribution of savings/revenue for participating Member Councils.
The financial benefit to GVROC shires for this project is relatively small compared to the outlay required, but there are significant benefits to the community that will result from this project. These include:
§ Greater uniformity and levels of lighting across and along the streets;
§ Improved colour rendering and visibility;
§ Less depreciation of the light output over time with an asset life up to 10 times longer;
§ Lower glare;
§ Demonstration and encouragement of the deployment of energy efficient street lights (and other energy efficient technology) further afield by the energy utility Horizon Power, who are the owners of the street lights assets across most of regional WA;
§ Demonstration and encouragement of the adoption of improved energy management practices in the broader community as the street lights are used by all local community members and visitors; and
§ Improved safety and security of the local community through improved lighting, fewer occurrences of broken lights and reduction in instances of vandalism and anti-social behaviour.
§ Project Schedule
The installation phase of this project is scheduled to commence in January 2015 in Esperance and finish in October 2015. Table 2 outlines the project schedule for the installation of lights across all participating shires.
|
Shire |
Installation Commences |
Installation Completed |
|
Esperance |
January 2015 |
August 2015 |
|
Menzies |
March 2015 |
April 2015 |
|
Laverton |
May 2015 |
July 2015 |
|
Norseman |
July 2015 |
October 2015 |
|
Leonora |
August 2015 |
September 2015 |
Table 2
Solar PV Project Update
The detailed technical analysis of potential sites for solar PV systems and their ideal sizes has been completed and submitted by EMC engineering. This report outlines a rough estimate of system costs as well as technical requirements imposed by Horizon Power and Western Power. Key issues that were considered:
§ Systems installed on Horizon Power network require energy smoothing units to mitigate the sudden increase and decrease in power production associated with solar PV units.
§ GVROC shires on the Horizon Power network have maximum hosting capacity limits, which dictates the maximum total output of solar PV systems allowed in each town.
§ Potential solar PV system sizes are limited by available roof and ground space at each site.
§ Systems are eligible for export revenue for any excess electricity generation above each site’s consumption.
The information within the report written by EMC will form the basis for proceeding with the project. Information provided on various solar smoother manufacturers will inform the tender selection process, as all tenders will be required to include smoother units approved for use on Horizon Power networks.
If GVROC CEOs agree to proceed with this project, the City of Kalgoorlie-Boulder can immediately look to award the contract for project management and aim to begin construction of solar PV systems in early 2015. The tender has not been released for this project yet, so there is no formal project schedule, but the last system should be completed by the end of 2016.
§ Projected Benefits
This project will deliver significant financial savings from reduced electricity consumption that will continue to increase over time as electricity prices rise. Each system scheduled for installation is designed to produce excess electricity for exporting back into the grid. This excess electricity will generate income for the shires, as Horizon Power will purchase it at pre-determined rates varying from shire to shire. The financial implications are outlined in Table 3 below.
|
Solar PV System |
System Size (kW) |
Projected System Cost ($) |
Projected Electricity Savings ($/year) |
Projected Income from Export ($/yr) |
Simple PBP (years) |
|
Esperance Admin Building |
50 |
172,000 |
18,869 |
3,399 |
8.5 |
|
Menzies Admin Building & Depot |
50 |
158,000 |
9,498 |
28,777 |
3.8 |
|
Menzies Caravan Park |
20 |
65,000 |
5,357 |
36,385 |
5.2 |
|
Laverton Visitor’s Centre |
50 |
156,000 |
10,308 |
33,067 |
4.3 |
|
Laverton TV Retransmission Hut |
50 |
181,000 |
11,150 |
2,847 |
4.5 |
|
Kambalda Recreation Centre |
150 |
383,000 |
57,020 |
8,055 |
5.6 |
|
Total |
370 |
1,115,000 |
112,202 |
112,530 |
5.1 |
Table 3
The EMC technical report contains specific details of each system scheduled for installation including system orientation and proposed roof and ground areas for installation.
§ Financial conclusions
The attached spreadsheet shows two (2) and the amounts may change accordingly. It is pointed out that electricity cost savings are based on present day values and no projections with annual increases have been done. The scenarios developed are:
1) PV Energy Project – this project assumes that there are 6 sites located 4 in Local Governments that provide an opportunity to install PV units. The EMC report provides more detail on this proposal. All up the estimated capital for the PV units is $1,412,182 and generates savings to the host sites of around $112,202 pa and export revenue, i.e. a cheque from Horizon of around $112,530 pa. Project management costs of $296,925 are distributed proportionately across the projects based on the capital expenditure. The total savings and revenue for this project is estimated at $224,732.
2) CEEP Street lighting project – this project has LED street lights installed across 5 local governments, with this sites being determined based on the best return from Horizon Power. With this project there are only savings generated by Horizon, no revenue is returned from the project. The original intent of this project was to get cost savings passed back but this isn’t the case. The is also the issue of “ownership” of the lights and this needs to be clarified so that there is absolutely not chance costs that future replacement, maintenance, upgrades etc. are passed back to the Local Governments. The total cost of this project is $4,214,199. Project management costs are estimated at $315,000 and the projected annual savings are $97,652.
3) Summary
The total value of these two projects is $5,626,381, off which $2,106,135 is CEEP money (Federal grant) and $3,340,024 being the 12/13 Country Local Government Fund (CLGF) for the Shires of Esperance, Leonora, Menzies, Coolgardie, Dundas and the City of Kalgoorlie-Boulder. The Shires of Laverton, Ravensthorpe, Wiluna and Ngaanyatjarraku didn’t have any CLGF in this project as there funds were directed to other projects. The original intent of this project was that the CEEP funds would be applied to any of the Local Governments that gave the best return but that savings or revenue would be shared with the Local Governments that put in CLGF monies, as $1,793,064 will be used to match the CEEP grant. For the PV project, there was always going to be a return to the Local Governments based on the proportion of the 12/13 CLGF grant. The summary on the attached spreadsheet gives the breakdown of the allocation and return by Local Government.
As can be seen from the summary, the Shire of Esperance receives the greatest capital investment for both projects, totalling $2,653,180 with savings/revenue of $87,692. The Shire of Laverton, although not having any CLGF allocated, has capital of $901,424 and savings/revenue of $91,132. The City of Kalgoorlie-Boulder doesn’t have any capital or savings/revenue. The challenge is for the Local Governments achieve equity in distribution of the savings/returns.
The following is proposed:
1. Shire of Esperance – electricity savings for PV and street lights are retained by the Shire, estimated at $84,293 pa. Projected revenue of $3,399 pa is remitted to the GVROC pool for distributed.
2. Shire of Menzies – PV and Streetlight savings of $23,179 pa are retained by the Shire. Projected revenue of $35,914 pa is remitted to the GVROC pool for distribution.
3. Shire of Coolgardie – PV and street lighting savings of $57,020 pa are retained by the Shire. Projected revenue of $8,055 pa is remitted by the Shire to the GVROC pool for distribution.
4. Shire of Dundas – Savings of $11,631 pa are retained by the Shire.
5. Shire of Leonora – Electricity savings from street lighting of $7761 are retained by the Shire.
6. Shire of Laverton – electricity savings from the PV and streetlight projects of $25,970 be retained by the Shire. Projected revenue of $65,162 is remitted to the GVROC pool for distribution.
7. If we use the proportion of the CLGF each Local government has in the project and compare their savings, the ROI is Esperance 9%, Menzies 5.3%, Coolgardie 11.9%, Dundas 3.1% and Leonora 2.3%. Kalgoorlie-Boulder doesn’t receive a ROI and Laverton gets a return without any CLGF contribution. The proposed GVROC pool can be used to equalise the situation and it is proposed that a minimum return of 7% is set and funds distributed accordingly. For those Local Governments already with a ROI over this amount, then there is no distribution from the pool.
8. The GVROC pool could have approximately $112,530 pa from the revenue stream from the PV project. To equalise to a minimum of 7% ROI, the following distributions would be made, Menzies $7,533, Dundas $14,505, Leonora $15871 and Kalgoorlie-Boulder $54,221.
9. It is proposed that these arrangements be maintained for 7 years and then all savings and revenues be retained by the host Local Government.
10. Based on the above $92,129 would be distributed from the pool, leaving approximately $20,400 to be retained annually by GVORC for future project etc.
If the distribution was carried out as per above, the final savings/revenue for each participating Local Government would be:
Esperance (9%) $84,293
Menzies (7%) $30,712
Coolgardie (11.9%) $57,020
Dundas (7%) $26,135
Leonora (7%) $23,632
Kalgoorlie-Boulder (7%) $54,221
$276,013
Laverton – no capital $25,970
GVROC retained $20,401
$322,384
The projects have provision for tenders, contract management, assessment and reporting totalling $611,925, of which approximately $327,805 has been committed or is anticipated to be committed. To date the City of Kalgoorlie-Boulder has been the project manager and has not claimed any staff costs. It is proposed that the balance of the project management budget be split into 2 portions one being project contingencies of $140,000 and the balance of $144,120 towards the City’s costs to date and for future project management.
Following consideration of the above the Technical Officers Working Group resolved as follows:
RESOLUTION: Moved: Jim Epis Seconded: Peter Crawford
That GVROC Technical Officers Working Group:
1. Seek an urgent meeting with the Chairman of the Board and CEO of Horizon Power to discuss the impediments of the GVROC LED streetlight project in particular the implications of the “gift tax”.
2. Agree in principle to proceed with the GVROC LED project subject to resolving the issues surrounding ownership of the lights being under the care and control of Horizon Power.
3. Agree to the PV alternate energy project and request the City of Kalgoorlie-Boulder to coordinate the calling of tenders and awarding of contracts for this project, noting that individual Local Governments will still be responsible for the calling and awarding of tenders in accordance with the Local Government Act for works in their areas; and
4. Endorse in principle the financial arrangements outlined in this report, with the details to be formalised in a Memorandum of Understanding between the parties.
CARRIED
In addition to the above work, GVROC resolved when it met on Friday 28 March 2014 to write to the Minister for Energy regarding the new LED Tariffs. The resolution is shown below.
RESOLUTION: Moved: Cr Williams Seconded: Cr Stewart
That:
1. GVROC write to the Minister for Energy seeking assurance that the Gazettal of the new LED Tariffs will be completed in time for use in the 2014/2015 financial year;
2. Horizon Power be requested to pass on any additional savings to the GVROC through the use of new LED light technology over and above the new tariffs;
3. GVROC commit to the Community Energy Efficiency Program (CEEP) subject to the finalisation of the Horizon Power tender for LED lights and associated tariffs for this lighting; and
4. the GVROC Chair and/or GVROC CEO be given authority to sign off on the Community Energy Efficiency Program (CEEP) Project for the Goldfields Esperance Region.
CARRIED
A response from the Minister has now been received. It forms an attachment to the meeting agenda.
Executive Officer Comment:
On Tuesday 28 October 2014 the CEO City of Kalgoorlie-Boulder advised that the City and the Shire of Esperance would be discussing, via a phone hook-up, the future of the project with Horizon Power. He advised that the only way forward for the project to proceed is for the participating Councils to take over ownership of the lights as Horizon Power still maintain the asset tax of $1m+ makes the project unviable. GVROC, however still hasn’t seen the business case to back this up.
An informal briefing session of the Technical Officers Working Group was held via teleconference on Thursday 30 October 2014. The meeting looked at ways in which the project could proceed. Councils participating included the:
§ Shire of Dundas;
§ Shire of Esperance;
§ City of Kalgoorlie-Boulder;
§ Shire of Laverton;
§ Shire of Leonora;
§ Shire of Menzies; and
§ Shire of Ravensthorpe.
The CEO City of Kalgoorlie-Boulder advised that for the project to proceed the Shires of Dundas, Esperance, Laverton, Leonora and Menzies would be required to enter into an agreement with Horizon Power over the ownership of the assets, with Horizon Power guaranteeing that absolutely no costs will have to be met by the Councils.
For this to occur participating Councils would have to endorse the proposal and at next week’s GVROC meeting a formal position agreed to.
A further matter requiring resolution was one around the form of agreement that all parties will work towards having the assets transferred back to Horizon at no penalty to either party. This would require lobbying the State Government. In doing this GVROC would also work get a better tariff if Councils were required to take ownership of the lights.
Following their meeting with Horizon Power the Shire of Esperance and the City of Kalgoorlie-Boulder advised as follows:
§ Horizon Power will send through a revised model showing the cost savings for Horizon and the tariff savings for the participating Councils, with the model showing 2 scenarios, one being with the gifted tax to be paid by Horizon Power and the other scenario being Councils taking “ownership” of the fittings, not including the poles, and gifted tax is avoided. Horizon Power has undertaken to have a revised tariff to GVROC by COB on Wednesday 5 December 2014.
§ It is anticipated that the scenario of Councils taking on ownership should have a better financial outcome than originally modelled and advised by Horizon Power. Currently GVROC’s modelling showings a reduction in the tariffs of around $97k across the participating Councils.
§ In order for Councils to take on ownership with confidence, ie that there isn’t a corresponding financial burden to the Councils, a rock solid agreement with Horizon Power and the affected Councils need to be developed. This will need to clearly show that all installation, ongoing maintenance, replacement or any other costs will be met by Horizon Power.
§ Assuming the Councils involved take on the ownership, GVROC will commence the process of lobbying the State Government to approve the transfer of the assets back to Horizon within 2 years at no cost to the Councils involved or Horizon Power.
§ Horizon Power made it absolutely clear they would be responsible for all costs (cash and non-cash, operations and replacement), and even if GVROC was unsuccessful in lobbying the government re the gift tax, at some point the LED lights (at replacement) would become their asset, at no additional cost Councils. It was stated that this position had come from their CEO.
§ All of the above is subject to each participating Council formally ratifying the proposal
Consultation: Nil
Voting Requirement: Simple majority
RECOMMENDATION:
That GVROC:
1. Request that the Shires of Esperance, Dundas, Laverton, Leonora and Menzies endorse the proposal for Horizon Power to transfer ownership of the streetlights to be upgraded to LEDs to each Local Government so that this project can proceed, subject to Horizon Power entering into an agreement with each Local Government such that Horizon Power will be responsible for all costs associated with maintaining, repairs and replacing of the LED lights and that Local Governments are not responsible for any costs other than the normal lighting tariff;
2. Request Horizon Power lobby the State Government for the transfer of the LED lights back to Horizon Power ownership within 2 years without any cost to the Local Governments or Horizon Power;
3. Requests Horizon to upgrade the streetlights to the technical specifications and costs as provided by Horizon Power, noting that tenders are not required to be called by the Local Governments in accordance with the Local Government (Functions and General) regulations, clause 11 (2) (e) and (f);
4. Request that the City of Kalgoorlie-Boulder coordinate the calling tenders for the installations of solar PV units at the sites identified, with individual Local Governments to consider and award tenders in accordance with the overall objective of this project;
5. Request Shires of Esperance, Dundas, Laverton, Leonora and Menzies endorse in principal the funding arrangements and the dividend (export tariffs) distribution formulae, noting that this may change depending on the final tariff savings for the LED lights passed back to the Local Governments; and
6. Note the correspondence from Minister for Energy regarding the gazettal of the new LED Tariffs.
RESOLUTION: Moved: Mr Brookes Seconded: Cr Williams
That GVROC:
1. Request that the Shires of Esperance, Dundas, Laverton, Leonora and Menzies endorse the proposal for Horizon Power to transfer ownership of the streetlights to be upgraded to LEDs to each Local Government so that this project can proceed, subject to Horizon Power entering into an agreement with each Local Government such that Horizon Power will be responsible for all costs associated with maintaining, repairs and replacing of the LED lights and that Local Governments are not responsible for any costs other than the revised lighting tariff that is subject to further negotiation;
2. Request Horizon Power lobby the State Government for the transfer of the LED lights back to Horizon Power ownership within 2 years without any cost to the Local Governments or Horizon Power;
3. Request Horizon Power to upgrade the streetlights to the technical specifications and costs as currently specified, by Horizon Power, as a minimum, noting that tenders are not required to be called by the Local Governments in accordance with the Local Government (Functions and General) regulations, clause 11 (2) (e) and (f);
4. Request that the City of Kalgoorlie-Boulder coordinate the calling tenders for the installations of solar PV units at the sites identified, with individual Local Governments to consider and award tenders in accordance with the overall objective of this project;
5. Request Shires of Esperance, Coolgardie, Dundas, Laverton, Leonora, Menzies and City of Kalgoorlie-Boulder endorse in principle the funding arrangements and the dividend (export tariffs) distribution formulae, for a period of 10 years, noting that this may change depending on the final tariff savings for the LED lights passed back to the Local Governments; and
6. Note the correspondence from Minister for Energy regarding the gazettal of the new LED Tariffs.
CARRIED
RESOLUTION: Moved: Cr Goldfinch Seconded: Cr Harris
That GVROC look at the potential for the tender to be expanded to include other Local Governments subject to budget capacity and approval.
CARRIED
At this point the meeting returned to Item 4.1 - Presentation on Municipal Services in Aboriginal Communities
Mr Scott Hollingworth and Ms Kelly McIntyre
Following the presentation the meeting moved to Item 8.7 but the details are recorded in numerical sequence.
8.5 RV Status for the Goldfields Esperance Region
Reporting Officer: Helen Westcott, Executive Officer
Disclosure of Interest: No interest to disclose
Date: 22 October 2014
Attachments: Nil
Background:
As Member Councils are aware, the City of Kalgoorlie-Boulder employs Mr Phil Chadd as its “roving ambassador” to advertise the benefits to the RV community of staying in Kalgoorlie-Boulder. Mr Chadd met with the GVROC Technical Officers Working Group on Friday 5 September 2014 to discuss the Campervan and Motorhome Club of Australia (CMCA) National Rally to be held in Albany in April in 2015 and how the region as whole can gain some benefits from the rally and the Goldfields Esperance regions becoming a RV Friendly region.
The CMCA have 2 major rallies a year, being the Anniversary Rally in April and the National Rally in September/October. The City hosted a National Rally in 2011 and over 800 campervans and motorhomes attended. The 2015 rally will be held in Albany and as with the 2011 rally there is the potential for this region to benefit by promoting attendees to visit and explore.
Following its meeting with Phil Chadd the Technical Officers Working Group resolved as follows:
RESOLUTION: Moved: Ian Fitzgerald Seconded: Stephen Deckert
1. That the GVROC Technical Officers Working Group recommend to the GVROC Council that quotes be obtained for the Goldfields Tourism Network to attend the Campervan Motorhome Club of Australia 2015 anniversary and national rallies to represent the region and maximise visitors to the 2015 Campervan Motorhome Club of Australia rally in Albany.
2. That the GVROC Technical Officers Working Group action the finalisation of the region being designated a RV friendly region.
CARRIED
Executive Officer Comment:
Since the Technical Officers Working Group meeting the CEO City of Kalgoorlie-Boulder has requested a quote from the Goldfields Tourism Network (GTN) for a quote to attend the Campervan Motorhome Club of Australia 2015 rally anniversary to be held in Murray Bridge in South Australia 19-25 April 2015 and the National Rally to be held in Albany 26 October – 1 November 2015.
A copy of the quote forms an attachment to the meeting agenda.
The costs provided are indicative for GTN representation at the Victorian and Perth Caravan and Camping Shows.
The CEO City of Kalgoorlie-Boulder has also had discussions with the CMCA and Rally organisers, and if GVROC was to attend these shows it may also be possible to have a limelight spot seminar session on the Goldfields.
Work has also commenced on region becoming a designated RV Friendly region. In seeking information from Member Councils the following information on the essential and desirable conditions required for becoming an RV Friendly Town™ are provided below.
Essential criteria for a town to qualify as RV Friendly include:
§ provision of appropriate parking within the town centre, including access to a general shopping area with groceries or fresh produce;
§ provision of short term (24/48 hour) parking for self-contained vehicles within the town precinct.(WA law allows up to 72hrs);
§ access to potable water; and
§ access to a free dump point within the town precinct.
Desirable criteria for a town to qualify as RV Friendly include:
§ provision of long term parking for self-contained vehicles (close to town but not in town);
§ access to medical facilities or an applicable evacuation plan;
§ access to a pharmacy or a procedure to obtain pharmaceutical products;
§ appropriate parking facilities within a reasonable distance of the a visitor information centre;
§ the visitor information centre providing a town map showing essential facilities such as the local hospital, medical services, fuel, shopping area, dump point, fresh water, etc; and
§ RV Friendly Town™ signs to be erected within the town precinct.
The RV Friendly Destination™ (RVFD) category caters for small towns with an area such as an oval, reserve or rest area. An RVFD can also include businesses such as wineries, cheese factories, specialist farms, hotels, homesteads or country pubs that are friendly towards all mobile travellers. The destination will have an area for overnight or longer stays for travellers in recreational vehicles.
In an email received from Phil Chadd, GVROC has been provided with the following information on the status on Member Councils efforts to become RV friendly.
§ Shire of Coolgardie - requires RVFT ™ applications for Coolgardie and Kambalda to be lodged; directional signage, Traveller Rest Areas and dump points in place;
§ Shire of Dundas - awaiting formal Council approval for Norseman that can meet all requirements essential and Desirable;
§ Shire of Esperance – stakeholders currently still opposed to becoming RVFT™;
§ Shire of Laverton - RVFT™ application to be lodged; most facilities in place;
§ Shire of Menzies has two locations that would qualify as RVFD™ - Lake Ballard and Niagara Dam. Given the Shire opposed proposals for RV Friendly status any move toward joining the current initiative ‘RV Friendly Region’ (which is not trademarked by CMCA Ltd) would have to come from the Shire which would indicate the Shire’s desire and not just CMCA’s; and
§ Shire of Ravensthorpe - awaiting formal approval from Council for Ravensthorpe and or Hopetoun - most facilities in place.
The Executive Officer notes that the Shires of Leonora, Ngaanyatjarraku and Wiluna were not included within this information listing.
If GVROC is to lodge an application to become an RV friendly region Phil Chadd will require RVFT™ application as soon as possible, noting that a Public Submission Opportunity (PSO) to be held in Esperance in mid-November.
Consultation: Nil
Voting Requirement: Simple majority
The matter is presented for Member Councils consideration.
Meeting Comment
Shire of Leonora is already an RV Friendly town
RESOLUTION: Moved: Cr Cullen Seconded: Cr Stewart
That the GVROC look to secure grant funding to develop the GVROC Region as an RV/Caravan/Drive Friendly Region.
CARRIED
RESOLUTION: Moved: Cr Craig Seconded: Cr Cullen
That the Technical Officers Working Group be granted delegated authority to determine and contract, as appropriate, the engagement of the Goldfields Tourism Network to attend the Campervan Motorhome Club of Australia 2015 anniversary rally to be held in Murray Bridge in South Australia 19-25 April 2015 and the National Rally to be held in Albany 26 October – 1 November 2015 to promote the GVROC Region.
CARRIED
8.6 Training for Country Local Governments
Reporting Officer: Helen Westcott, Executive Officer
Disclosure of Interest: No interest to disclose
Date: 22 October 2014
Attachments: Correspondence from WALGA
Background:
The Executive Officer recently received correspondence from WALGA regarding training for elected members.
A copy of the letter forms an attachment to the meeting agenda. The letter details the type of training to be offered and the manner in which the training would be delivered. Training would be delivered in two blocks over four days. The training offered would be:
Block 1 Councillor Roles and Responsibilities
Meeting Procedures and Debating
Block 2 Land Use Planning
Strategy and Managing Risk
WALGA in partnership with the Department of Local Government and Communities is seeking interest from country Zones in hosting training within the regions. Expressions of interest were required by 24 October 2014.
Following discussions with the GVROC CEO, the Executive Officer advised WALGA that GVROC was interested in taking advantage of the training opportunity being offered country local governments. In lodging an expression of interest the Executive Officer advised WALGA as follows:
§ That GVROC was interested in hosting training for its elected members early in the 2015 calendar year with the training being held in the lead up to its first meeting for 2015;
§ That the second block of training would then be held in Kalgoorlie at a future date; and
§ That commitment to any training within the region could only come after the matter was considered by the GVROC Council.
Executive Officer Comment:
In investigating this offer to Member Councils, the Executive Officer has been advised that:
§ The first training block could be held in the lead up to the first GVROC Council Meeting for 2015. This is the meeting to be held in Esperance on Friday 30 January 2015. As a consequence WALGA has proposed that Block One be run on 28 and 29 January 2015;
§ The second session would be held at a later date in Kalgoorlie. As noted in the correspondence attached to the meeting agenda it is proposed that the second block of training would held a fortnight later. The Executive Officer as indicated to WALGA that this is probably too short a timeframe and that consideration should be given to holding the second session at a later date. It would appear that there could be some flexibility in the dates for the second block of training.
§ The class size will be 18-20; and
§ Those Elected Members that sign up to do the first block would also be automatically signed up to complete the second block as this training is for 4 units held over two split dates. The Executive Officer has “flagged” with WALGA that this might present some problems.
Consideration should be given by Member Councils as to whether they wish to participate in this offer of training.
The Executive Officer believes it provides an excellent opportunity for elected members across GVROC’s membership to access subsidised training on “home turf”. Whilst the issue of having to attend both blocks of training could be an impediment for some due to work commitments the Executive Officer believes that GVROC should discuss with WALGA the potential to allow attendees to attend a single block of training rather than having to attend both.
Consultation: Nil
Voting Requirement: Simple majority
RECOMMENDATION:
That GVROC advise WALGA that it accepts the offer of subsidised training as detailed in the letter to the Executive Officer dated 2 October 2014 subject to a number of conditions, including:
a) the first block of training be held in Esperance on 28 and 29 January 2015;
b) the second block of training be held in Kalgoorlie at a date to be confirmed but a least a month after the first block of training; and
c) providing participants with the option of attending single blocks of training.
RESOLUTION: Moved: Cr Craig Seconded: Cr Harris
That GVROC advise WALGA that it accepts the offer of subsidised training as detailed in the letter to the Executive Officer dated 2 October 2014 subject to a number of conditions, including:
a) the first block of training be held in Esperance on 28 and 29 January 2015;
b) the second block of training be held in Kalgoorlie at a date to be confirmed but a least a month after the first block of training; and
c) providing participants with the option of attending single blocks of training.
CARRIED
8.7 Provision of Municipal Services in Aboriginal communities
Reporting Officer: Helen Westcott, Executive Officer
Disclosure of Interest: No interest to disclose
Date: 22 October 2014
Attachments: Email from the Director General Department of Local Government and Communities dated 15 August 2014
Email from the Director General Department of Local Government and Communities dated 19 September 2014
Email from the Director General Department of Local Government and Communities dated 26 September 2014
WALGA Infopage dated 3 October 2014. Aboriginal Communities Negotiations
WALGA Infopage dated 9 October 2014. Aboriginal Communities Changes in Funding and Responsibility
WALGA State Council Resolution 64.3/2014
Draft Terms of Reference for the Local Government Planning Committee on Municipal Service Implementation
Background:
The matter of local government service delivery to Aboriginal communities is both a longstanding and unresolved matter.
As Members Council are aware, CAM Management Solutions (CAMMS) were appointed in 2011 to undertake the scoping and costing of local government services in Aboriginal Communities located within the Goldfields Esperance Region. The final report was presented to Council in early 2012, with Member Councils resolving as follows at a Special Meeting of the GVROC held Friday 26 March 2012:
RESOLUTION: Moved: Cr Carter Seconded: Mr Deckert
That the GVROC Council:
1. receive the report prepared by CAMMS entitled “Costing and Scoping Study of Local Government Services in Indigenous Communities Located within the Goldfields Esperance Region”;
2. recommends to Member Councils with indigenous communities that:
a) they advise the State and Federal Governments they will not participate further with the local government services to indigenous communities project until the questions raised from the 8 March 2012 WA Local Government Association Communique are addressed, particularly in relation to:
i. the determination of which communities are to be included in the normalisation process;
ii. what State and Federal Government funding will be guaranteed; and
iii. a comprehensive communication plan is prepared;
b) they request that a study be undertaken to determine the impact on general purpose financial assistance grants to local governments taking on responsibility for the provision of local government service delivery to indigenous communities;
c) should Point 1 be addressed to the local government’s satisfaction, funding is requested to be provided to implement the cost and scope study of the remaining indigenous communities not covered by the CAMMS costing and scoping study; and
d) they advise other local governments with indigenous communities, the Department of Local Government and the WA Local Government Association of this decision.
CARRIED
The matter was reconsidered by GVROC in 2014 following receipt of email correspondence On Friday 16 May 2014 Jennifer Matthews, Director General for the Department of Local Government and Communities, with GVROC resolving as follows on Friday 13 June 2014:
RESOLUTION: Moved: Cr Hill Seconded: Cr Harris
That GVROC reaffirms the resolution taken at a Special Meeting of the GVROC held Friday 26 March 2012 which read in part:
That the GVROC Council …
2. recommends to Member Councils with indigenous communities that:
a) they advise the State and Federal Governments they will not participate further with the local government services to indigenous communities project until the questions raised from the 8 March 2012 WA Local Government Association Communique are addressed, particularly in relation to:
i. the determination of which communities are to be included in the normalisation process;
ii. what State and Federal Government funding will be guaranteed; and
iii. a comprehensive communication plan is prepared;
b) they request that a study be undertaken to determine the impact on general purpose financial assistance grants to local governments taking on responsibility for the provision of local government service delivery to indigenous communities;
c) should Point 1 be addressed to the local government’s satisfaction, funding is requested to be provided to implement the cost and scope study of the remaining indigenous communities not covered by the CAMMS costing and scoping study; and
d) they advise other local governments with indigenous communities, the Department of Local Government and the WA Local Government Association of this decision.
CARRIED
Following the release of a further Infopage by WALGA in July 2014 GVROC Council reconsidered its position with respect to the delivery of local government services to Aboriginal communities resolving as follows at GVROC Council Meeting held Wednesday 6 August 2014:
RESOLUTION: Moved: Cr Twigg Seconded: Cr Hill
That the GVROC Council reaffirms its position with respect to the delivery of local government services to indigenous communities, that is that GVROC recommends to Member Councils with indigenous communities that:
1. They advise the State and Federal Governments they will not participate further with the local government services to indigenous communities project until the questions raised from the 8 March 2012 WA Local Government Association Communique are addressed, particularly in relation to:
i. the determination of which communities are to be included in the normalisation process;
ii. what State and Federal Government funding will be guaranteed; and
iii. a comprehensive communication plan is prepared;
2. They request that a study be undertaken to determine the impact on general purpose financial assistance grants to local governments taking on responsibility for the provision of local government service delivery to indigenous communities;
3. Should Point 1 be addressed to the local government’s satisfaction, funding is requested to be provided to implement the cost and scope study of the remaining indigenous communities not covered by the CAMMS costing and scoping study; and
4. They advise other local governments with indigenous communities, the Department of Local Government and the WA Local Government Association of this decision.
CARRIED
It should be noted that the above resolution also took into account views expressed at a meeting held on Tuesday 5 August 2014. This meeting was convened by WALGA, with representation from a number of affected Councils and both State and Federal Government agencies. Following this meeting the Department of Local Government and Communities’ Director General emailed affected Councils.
Local governments were emailed again following the 5 August meeting. A copy of the email (dated 15 August 2014) forms an attachment to the meeting agenda.
In this email the Director General proposed to reconstitute the Planning Committee, originally convened in September 2010, with representation from WALGA, LGMA, local governments, the Commonwealth and relevant State Government agencies.
A second email from the Director General on the matter was sent out on 19 September 2014.
A copy of the email forms an attachment to the meeting agenda.
In this email, the Director General asks that affected Councils to consider:
§ The draft Terms of Reference (ToR) for the Planning Committee, seeking comment and endorsement. A copy of the ToR forms an attachment to the meeting agenda;
§ Nominations from each local government to represent on the committee;
§ The specific implementation issues for municipal services in each district, including options for:
Ø facilitating technical advice and identifying key activities to prepare for potential service delivery functions;
Ø investigating a governing model for future service delivery arrangements and funding, eg a statutory body; and
Ø coordinating an agreed sector position on the implementation options.
A further email was sent on 26 September. In this email the Director General provides a further update regarding the State Government’s negotiations with the Commonwealth concerning future arrangements for the provision of services in Aboriginal communities.
A copy of the email forms an attachment to the meeting agenda.
WALGA has prepared a number of Infopages since the Director General’s recent emails. Each forms an attachment to the meeting agenda.
A copy of the most recent WALGA State Council resolution on this matter also forms an attachment to the meeting agenda.
Executive Officer Comment:
The Executive Officer is unsure whether at an individual level Member Councils have responded to the Director General Department of Local Government and Communities various emails, in particular her requests for comment and endorsement on the draft ToR for the Planning Committee an nominations for representation on the Committee.
If not then this is a matter which requires resolution, with Member Councils to decide whether representation should be at individual Council level or GVROC nominated representation as was the case with the previous committee.
GVROC should also look to provide comment on the draft ToR for the Planning Committee, particularly as the Department of Local Government and Communities is seeking their seeking endorsement by affected local governments.
GVROC should also consider the specific implementation issues for municipal services in each district, including options for:
§ facilitating technical advice and identifying key activities to prepare for potential service delivery functions;
§ investigating a governing model for future service delivery arrangements and funding, eg a statutory body; and
§ coordinating an agreed sector position on the implementation options.
The discussion following the presentation by Scott Hollingworth and Kelly McIntyre from the Department of Local Government and Communities may assist in Member Councils’ consideration of the matter.
Any decision will need to be in keeping with the GVROC Council resolution from the GVROC Council Meeting held Wednesday 6 August 2014 which states:
RESOLUTION: Moved: Cr Twigg Seconded: Cr Hill
That the GVROC Council reaffirms its position with respect to the delivery of local government services to indigenous communities, that is that GVROC recommends to Member Councils with indigenous communities that:
1. They advise the State and Federal Governments they will not participate further with the local government services to indigenous communities project until the questions raised from the 8 March 2012 WA Local Government Association Communique are addressed, particularly in relation to:
i. the determination of which communities are to be included in the normalisation process;
ii. what State and Federal Government funding will be guaranteed; and
iii. a comprehensive communication plan is prepared;
2. They request that a study be undertaken to determine the impact on general purpose financial assistance grants to local governments taking on responsibility for the provision of local government service delivery to indigenous communities;
3. Should Point 1 be addressed to the local government’s satisfaction, funding is requested to be provided to implement the cost and scope study of the remaining indigenous communities not covered by the CAMMS costing and scoping study; and
4. They advise other local governments with indigenous communities, the Department of Local Government and the WA Local Government Association of this decision.
CARRIED
Consultation: Nil
Voting Requirement: Simple majority
The matter is presented for consideration by Member Councils.
RESOLUTION: Moved: Cr Harris Seconded: Cr Cullen
1. That the GVROC reaffirm the following resolution:
That the GVROC Council reaffirms its position with respect to the delivery of local government services to indigenous communities, that is that GVROC recommends to Member Councils with indigenous communities that:
1. They advise the State and Federal Governments they will not participate further with the local government services to indigenous communities project until the questions raised from the 8 March 2012 WA Local Government Association Communique are addressed, particularly in relation to:
a. the determination of which communities are to be included in the normalisation process;
b. what State and Federal Government funding will be guaranteed; and
c. a comprehensive communication plan is prepared;
2. They request that a study be undertaken to determine the impact on general purpose financial assistance grants to local governments taking on responsibility for the provision of local government service delivery to indigenous communities;
3. Should Point 1 be addressed to the local government’s satisfaction, funding is requested to be provided to implement the cost and scope study of the remaining indigenous communities not covered by the CAMMS costing and scoping study; and
4. They advise other local governments with indigenous communities, the Department of Local Government and the WA Local Government Association of this decision.
2. That the GVROC request the State Government to undertake a social and economic study on the impact possible closure of communities not deemed to be funded under the MUNS scheme
3. That nominations to the Local Government Planning Committee on Municipal Service Implementation be left to individual local governments
CARRIED
3.50pm Meeting adjourned
4.07pm Meeting resumed
8.8 Local Government Representation to the Great Southern District Emergency Management Committee
Reporting Officer: Helen Westcott, Executive Officer
Disclosure of Interest: No interest to disclose
Date: 31 October 2014
Attachments: Correspondence from Great Southern District Emergency Management Committee
Background:
The GVROC recently received correspondence from the Great Southern District Emergency Management Committee seeking feedback on a review of the way in which local governments are represented at DEMC meetings.
A copy of the correspondence and the discussion paper relating to this review forms an attachment to the meeting agenda.
Executive Officer Comment:
Whilst the review relates specifically to the Shire of Ravensthorpe, as it falls within the Great Southern District Emergency Management Committee’s boundaries, the Executive Officer tables the matter for discussion amongst all Member Councils as the review might have some useful information for the Goldfields Esperance Emergency Management Committee and the manner in which it operates.
GVROC should also advise the various emergency management committees of its current contact details.
Consultation: Nil
Voting Requirement: Simple majority
RECOMMENDATION:
That the Executive Officer advise both the Goldfields Esperance and Great Southern District Emergency Management Committees of its current contact details.
RESOLUTION: Moved: Cr Harris Seconded: Cr Stewart
That the Executive Officer advise both the Goldfields Esperance and Great Southern District Emergency Management Committees of its current contact details.
CARRIED
8.9 GRV Rating of Mining Interests
Reporting Officer: Steven Deckert, CEO, Shire of Laverton
Glenn Bone, Project Officer, Shire of Laverton
Helen Westcott, Executive Officer
Disclosure of Interest: No interest to disclose
Date: 31 October 2014
Attachments: Draft Policy Guidelines – The application of gross rental valuation to resource projects
Policy – Application of Gross Rental Valuation to Mining, Petroleum and Resource Interests
Executive Officer Comment:
The Shire of Laverton has requested that the GVROC consider the matter of the State Government’s policy with respect to the GRV rating of mining interests.
The information provided below has been provided by the Shire of Laverton.
In considering the issue the Shire was looking to establish that the abovementioned policy was fundamentally flawed and as a consequence, submit to WALGA that:
1. That the Minister be requested to amend the policy to remove the discriminatory provisions excluding treatment plants; and
2. In respect to item 1 above, a legal opinion be obtained to support the contention that the policy exceeds the authority granted to the Minister pursuant to the Local Government Act 1995 in regard to the Change of Method of Valuation of Land.
Background:
Introduction
In 2011 the State Government announced a new policy on “the application of Gross Rental Valuation to mining, petroleum and resource interests” (the GRV mining policy).
This policy was set down for a trial period from 1 July 2012 to 30 June 2015. Since the trial period is in its final year and the State Government has indicated the policy will soon be reviewed, WALGA initiated a request (23 July 2014 – via an INFOPAGE), for feedback on the impact of the policy on local governments.
Under the GRV mining policy, local governments are able to apply Gross Rental Valuations to certain improvements on land within tenements under the State’s mining and petroleum laws.
The policy applies to land defined as either:
1. A relevant interest (under the Local Government Act 1995) such as a mining tenement held under the Mining Act 1978 or a permit, drilling reservation, lease or license held under the Petroleum and Geothermal Energy Resources Act 1967; or
2. A resource interest used for the extraction, processing or refining of minerals or petroleum.
When it announced the policy, the State Government said:
· The policy will apply to all new mining, petroleum and resource interests. [‘new’ refers to interests that were initiated from July 2012]
· It will not affect existing arrangements between local government and [mining] proponents unless both parties agree to adopt the policy.
· Projects that operate under existing State Agreements and are currently exempt from rates may apply the policy as part of their respective Agreement Variation processes with the Department of State Development during the trial period.
(The full context of the policy is set out in the second Attachment to this item).
However, before setting out arguments as to the identified faults of the policy, it is vitally important to understand how the policy came into being. For this we need to backtrack to 2011 when WALGA were consulted about the then proposed State Government policy on the application of GRV based rating to resource projects.
The lead-up to this position occurred after a number of investigations and reports by successive governments and Ministers, the Premier advised that the current government would remove rate exemption clauses from State Agreement Acts on review and renewal. Despite this undertaking over 100 State Agreements were passed through Parliament inclusive of rate exemption clauses. In 2010 the Premier undertook to resolve the situation with the development of a new State policy.
Resource sector representatives (CME and AMEC) ran a process to develop a policy proposal to the State Government which was informed by a number of government departments and WALGA.
WALGA subsequently distributed the draft policy to the local government sector in August 2011 however this resulted in only four responses (probably due in part to being budget time and pre-occupation with statutory requirements). WALGA went on to observe that from those responses there was a clear preference for the full application of the Local Government Act rating provisions, but a general acknowledgement that the policy represents an improved position over the status quo.
It is apparent from the WALGA agenda item submitted to State Council in October 2011, that the proposed policy was all about GRV rating of resource projects. The agenda item summarised the position as follows:
· The application of local government rating to resource projects covered by State Agreement Acts has been a long standing objective for the sector.
· The current government undertook to remove rate exemption clauses from State Agreement Acts on review and renewal.
· Despite this undertaking over 100 State Agreement Acts were passed through Parliament inclusive of rate exemption clauses.
· The Premier undertook to resolve the situation with the development of a new State policy.
The agenda item went on to note that the existing position of the Association has been based on the complete removal of rate exemption clauses from Agreement Acts to enable the free application of the rating provisions contained within the Local Government Act. Support for the state government’s draft policy would redefine the Association’s policy position to reflect a limited application of those rating provisions. In effect WALGA noted that the proposed State policy offered the restricted application of GRV based rating to resource projects under the current provisions of the Local Government Act.
In the light of this scenario at their October 2011 State Council meeting, WALGA resolved:
“That the proposed State Government policy on the application of GRV bases rating to resource projects be supported.”
Shortly thereafter in December 2011, the Minister announced in Circular No 29-2011 that the State Government had approved the implementation and trial of the policy on the application of Gross Rental Valuation (GRV) for mining, petroleum and resource interests.
Whilst the foregoing reveals the chronology of the policy development, the detail of this was not known to the Shire of Laverton until late February 2012 when the Shire obtained a copy of what WALGA had considered at their October 2011 State Council meeting.
A comparison of the Draft Policy Guidelines (ostensibly dealing with resource projects), and the newly adopted policy, reveals that while the sequence has been rearranged, the wording is pretty much the same with the exception of the “Introduction” section. The Introduction in the two documents are worded as follows-
Draft Policy:
Introduction
The Local Government Act 1995 enables local government to apply gross rental value as the basis for rating on a portion of land, which has a “relevant interest” (mining and petroleum). The following policy guidelines aim to standardise the application of gross rental value to resource projects throughout the State.
Actual Policy:
Introduction
This policy provides guidelines for the application of gross rental valuation (GRV) to mining, petroleum, and other resource interests.
This subtle change in wording reveals that WALGA’s interpretation of the draft policy material was clearly focused on “resource interests” (i.e., iron ore, bauxite etc. where Agreement Acts are in place, rather than precious metal operations), whereas the actual policy was embracing to all forms of mining operations. So while WALGA were apparently of the understanding they were assisting local government to overcome a historical disability regarding resource interests, this was certainly not the outcome.
One can easily recognize from a resource industry perspective that there was always going to be a desire to lessen the financial cost and so the exclusion of expensive processing plants from the GRV equation, would certainly go a long way towards this objective. From the resource interests perspective such a provision would effectively maintain the status quo enjoyed under Agreement Acts. However, the broad brush application of the processing plant embargo to all forms of mining operations, now meant that local governments who were already GRV rating processing plants were now in an invidious position. Granted, they were free to continue to GRV rate those operations previously approved, but the adopted policy now meant they couldn’t follow the same approach with a new operation after 1 July 2012, unless they had written agreement to the contrary.
Unfortunately the impact of the adopted policy introduced the very real likelihood of inconsistent rating approaches whereby some processing plants would be GRV rated and others not. For local government, apart from a loss of revenue opportunity, this situation also presents an equity problem.
Analysis
By way of explanation, the Shire of Laverton’s experience with the GRV mining policy has been costly. This was brought about by the fact that in August 2011 the Shire submitted two applications to the Minister for a Change of Method of Valuation. Months later the Shire was told by the Department of Local Government that they would not be processing the submissions as a new policy (adopted in December 2011), was being formulated.
Unfortunately for the Shire, the submissions to the Minister included processing plants for both of the mine sites in question. Notwithstanding that processing plants are excluded in the policy, the Shire subsequently elected in 2012 to seek voluntary agreement from the relevant mining companies to include the processing plant improvements for gross rental valuation. This action was taken for two very valid reasons:
· To maintain income opportunities to the maximum extent.
· To be consistent in the approach of GRV rating all processing plants against the backdrop that Granny Smiths, Murrin Murrin and Sunrise Dam have all been so rated since before the year 2000.
While it did take some time, the approaches to the new mining companies were successful and the Shire did obtain their voluntary agreement to GRV rating of the treatment plants. Fresh submissions to the Minister included this material and the application was ultimately approved some 23 months after the initial applications had been lodged.
All of the foregoing has essentially been devoted to the historical aspect of the policy plus the consequential outcome on the rating restriction to processing plants. While the principles of these matters are indeed important, there is also a point of legal interpretation that the Shire of Laverton wishes to promote. The Shire’s contention is based on the following comments made in a letter to the Department of Local Government on 21 February 2012:
|
1. New Policy At item 2 of the Policy (Legal Context), it is stated: 1) In terms of Section 6.28(1) of the Local Government Act 1995 (the Act), the Minister can determine the method of valuation of land to be used by a local government as the basis for a rate. 2) In terms of Section 6.29 of the Act, the Minister can determine that gross rental valuation can apply to a portion of the land defined as a relevant interest on which capital improvements are located. 3) The Minister for Local Government has the authority, in terms of the legal provisions above, to implement the guidelines. The précis of 2.1 and 2.2 seems accurate, however I would question that the Minister has the power to implement the guidelines (i.e., the Policy) to the extent as mooted by 2.3. In my view, section 6.28(1) gives the Minister the power to determine the method of valuation (i.e., GRV or UV), but not the process of determining which capital improvements should be allowed and which should not. Key words of instruction appearing in section 6.28 are “predominately” and in section 6.29 “capital improvements”. I believe it is critically important that the context of both these sections are read in conjunction with one another to arrive at a proper interpretation of the legislation. I would therefore contend that once the Minister is satisfied there are capital improvements on a mining tenement (relevant interest), the Minister is then able to determine a change of method of valuation. There does not seem to be any power to differentiate (or exclude) certain types of capital improvements, such as processing plants within the current framework of the Local Government Act 1995. However, the new policy does seek to exclude in its initial thrust, the inclusion of processing plants. As such, it would appear that the proposed policy is inconsistent with the primary objects of sections 6.28 and 6.29. |
A vital issue in the table above, is whether the Minister has the power to differentiate (or exclude) certain types of capital improvements on mining developments. It is noted that Guideline No 2 – Changing Methods of Valuation of Land, was originally published in 2002 and revised in March 2012 to accommodate the intent of the new GRV Rating of Mining Interests policy. What is particularly pertinent here is that the general exclusion of mining treatment plants happens to be the only capital improvement item of predomonant usage removed from GRV consideration. No issue is made in regard to service stations, wineries, restaurants, chalet developments, caravan parks or anything else of a commercial nature that a local government may identify in a UV area as being a candidate for valuation method change. One must therefore assert that the sole identification of treatment plants is highly discriminatory and therefore ultra vires.
(For the record it is worth noting that the Department of Local Government never responded to the Shire’s letter of 21 February 2012. Could it be that the Shire’s contention did after all have merit?)
A further issue of great concern to the Shire of Laverton are the matters in “Principles to Observe” enunciated in Department of Local Government and Communities Publication Guideline No. 2 – Changing Method of Valuation of Land (Updated March 2012). It is stated that if the following principles are applied, the prospects for a satisfactory outcome will be significantly improved:
|
Objectivity As far as possible the predominant use of land should be reviewed and determined on the basis of an objective assessment of relevant criteria. External parties should be able to understand how and why a particular determination was made. Fairness and equity Rating principles should be applied fairly and equitably. Each property should make a fair contribution to rates based on a method of valuation that appropriately reflects predominant use. Consistency Rating principles should be applied, and determinations should be made, in a consistent manner. Like properties should be treated in a like manner. Transparency Systems and procedures for determining the method of valuation of land should be clearly documented and available for the public to inspect. This is fundamental to the “good government” principle upon which the Act is based. The right to govern accompanies the obligation to do so openly and fairly. Administrative efficiency Rating principles and procedures should be applied and implemented in an efficient and cost-effective manner. |
The Shire of Laverton were very conscious of the fact that rating of treatment plants had long been established at the following mine sites within the Shire. Rates applicable in 2012/13 (the first year of the adopted policy) for treatment plants only, were:
|
Anglogold Ashanti (Sunrise Dam) |
$42,062 |
|
|
Barrick Ltd (Granny Smith) |
$22,105 |
|
|
Minara Resources (Murrin Murrin) |
$166,014 |
|
|
|
|
$230,181 |
It therefore followed that pursuit of the Minister’s new policy would involve non-compliance with at least two of the aforesaid principles and being:
· Fairness and Equity
· Consistency
So with the potential loss of revenue from the two projects mentioned earlier in this report, plus a third project (Garden Well) which was then nearing completion of the construction stage, the Shire undertook in 2012 the tedious task of negotiating with the new mining companies to secure their agreement to GRV rate the processing plants. This was a little time consuming, but fortunately, was ultimately successful.
Other Local Governments
Whilst to now this item has focused on the Shire of Laverton’s experiences with the adopted policy, it is known that several other local governments will have more than just a casual interest in the policy. These include:
· The Shire of Coolgardie who in June 2014 submitted eight applications for Change of Method of Valuation to the Minister for Local Government.
· The Shire of Menzies who are currently researching the opportunity for GRV rating of the Tropicana mine.
· The City of Kalgoorlie/Boulder who have a potential opportunity for GRV rating of the Saracen mine.
Apart from the above examples there are undoubtably other local governments statewide and within the zone who would gain by the removal of the current processing plant restriction. The potential rating opportunity to local governments in the Zone is believed to be considerable. It would therefore be more than useful for local governments within GVROC to tabulate their potential rating outlook as part of identifying a unified position and response on the GRV Rating of Mining Interests.
In conclusion, the Shire of Laverton’s position, after recounting our experiences with the implementation of GRV Mining Policy, is:
1. We contend that the policy exceeds the authority granted to the Minister pursuant to the Local Government Act 1995 in regard to the Change of Method of Valuation of Land for the reasons detailed above. It is also quite possible that the reason why the Department did not respond to the letter of 21 February 2012, is that the Shire had a valid point.
It would therefore add much weight to the argument for either GVROC or WALGA to obtain a legal opinion as to whether the contention can be substantiated and with the possible scenario of testing the question with the State Administrative Tribunal, should this be necessary.
2. Notwithstanding the points made in item 1 above, the GRV Mining Policy, developed in an attempt to solve problems in the Resource Area, has impacted unfairly and inconsistently on local governments who have gold mining operations within this area.
As such, the Shire of Laverton submits that the Policy should be amended to remove the disciminatory provisions excluding treatment plants.
This matter is presented for consideration by Member Councils.
RESOLUTION: Moved: Mr Epis Seconded: Cr Williams
That the matter be referred to the Technical Officers Working Group for consideration and recommendation to the GVROC Council and in the interim the Shire of Laverton seek legal advice on the matter to be funded by the GVROC.
CARRIED
9. LATE ITEMS as notified, introduced by decision of the Meeting
9.1 Eastern Goldfields Miner’s Memorial
The GVROC received a letter from the Eastern Goldfields Miners Memorial to seeking its assistance in funding the shortfall for the project.
The final construction costs shortfall is $15,330.
RESOLUTION: Moved: Cr Craig Seconded: Cr Cullen
That the GVROC fund the Eastern Goldfields Miner’s Memorial to the extent of $15,330 being the final construction shortfall.
CARRIED
10. FUTURE MEETINGS/FUNCTIONS
Friday 28 November 2014 – a teleconference to consider the WALGA State Council agenda for the State Council meeting to be held Wednesday 4 December 2014
Friday 5 December 2014 – an in-person meeting of the GVROC Technical Officers Working Group in Kalgoorlie
Note: The Executive Officer will be unable to fly to Kalgoorlie for this meeting should it be held. The Executive Officer, will, however, be able to participate via teleconference.
Friday 30 January 2015 – an in-person meeting of the GVROC Council/GERCG Board in Esperance
11. CLOSURE OF MEETING
There being no further business the Chair declared the meeting closed at 4.50pm
DECLARATION
These minutes were confirmed by the Goldfields Voluntary Regional Organisation of Councils at the meeting held 30 January 2015
Signed _______________________________
Person presiding at the meeting at which these minutes were confirmed
24 February 2015 Page 298
Council Meeting
Friday 28 November 2014
Teleconference
Commencing at 8.31am
MINUTES
CONTENTS
1. DECLARATION OF INTEREST
2. ANNOUNCEMENTS
3. ATTENDANCE AND APOLOGIES
3.1 Attendance
3.2 Apologies
3.3 WALGA Representatives
4. WESTERN AUSTRALIAN LOCAL GOVERNMENT ASSOCIATION (WALGA) BUSINESS
4.1 State Councillor / Goldfield Esperance Zone President’s Report
4.2 WALGA Status Report (Attachment)
4.3 Review of WALGA State Council Agenda - Matters for Decision
4.4 Review of WALGA State Council Agenda - Matters for Noting/Information
4.5 Review of WALGA State Council Agenda - Organisational Reports
4.6 Review of WALGA State Council Agenda - Policy Forum Reports
4.7 WALGA President’s Report (Attachment)
5 AGENCY REPORTS
5.1 Department of Local Government and Communities (Attachment)
6. OTHER BUSINESS
6.1 Country Local Government Reform.. 13
6.2 WALGA Presidency
7. URGENT BUSINESS as permitted by the Chair
8. DATE, TIME AND PLACE OF NEXT MEETINGS
9. CLOSURE
Goldfields Voluntary Regional Organisation of Councils
and
Goldfields esperance country zone of walga
Teleconference Meeting to be held on Friday 28 November 2014 commencing at 8.31am
MINUTES
1. DECLARATION OF INTEREST
Pursuant to the Code of Conduct, Councillors and CEOs must declare to the Chairman any potential conflict of interest they may have in a matter before the Goldfields Voluntary Regional Organisation of Councils and Goldfields Esperance Country Zone of WALGA as soon as they become aware of it. Councillors, CEOs and Deputies may be directly or indirectly associated with some recommendations of the Goldfields Voluntary Regional Organisation of Councils and the Goldfields Esperance Country Zone of WALGA and the WALGA State Council. If you are affected by these recommendations, please excuse yourself from the meeting and do not participate in deliberations.
2. ANNOUNCEMENTS
The purpose of the meeting is to consider and provide advice to the WALGA State Council Representative, Mayor Ron Yuryevich AM, RFD.
3. ATTENDANCE AND APOLOGIES
3.1 Attendance
Mayor Ron Yuryevich AM RFD (Chair) Mayor, City of Kalgoorlie-Boulder
Mr Don Burnett CEO, City of Kalgoorlie-Boulder
Cr Mal Cullen President, Shire of Coolgardie
Cr Malcolm Heasman President, Shire of Esperance (entered the meeting at 8.39am)
Cr Paul Griffiths Councillor, Shire of Esperance (entered the meeting at 8.39am)
Mr Matthew Scott CEO, Shire of Esperance (entered the meeting at 8.39am)
Cr Patrick Hill President Shire of Laverton
Mr Steve Deckert CEO, Shire of Laverton
Mr Jim Epis CEO, Shire of Leonora
Cr Greg Dwyer President, Shire of Menzies
Mr Peter Crawford CEO, Shire of Menzies
Cr Ian Goldfinch President, Shire of Ravensthorpe
Mr Ian Fitzgerald CEO, Shire of Ravensthorpe
Cr Graham Harris Deputy President, Shire of Wiluna
3.2 Apologies
Mr Paul Webb, CEO, Shire of Coolgardie
Cr Beverley Stewart, Councillor, Shire of Esperance
Cr Rob Wedge, Deputy President Shire of Laverton
Cr Peter Craig, President Shire of Leonora
Cr Ken Norman, Councillor Shire of Ravensthorpe
Cr Jim Quadrio, President Shire of Wiluna
Ms Andrea Nunan, CEO Shire of Wiluna
Mr Bruce Wittber Joint Executive Officer
3.3 WALGA Representatives
Ms Ricky Burges, Chief Executive Officer
Mr John Lane, Emergency Management Coordinator (Indigenous Communities)
4. WESTERN AUSTRALIAN LOCAL GOVERNMENT ASSOCIATION (WALGA) BUSINESS
Zone delegates to consider the Matters for Decision contained in the WA Local Government Association State Council Agenda and put forward resolutions to Zone Representatives on State Council
4.1 State Councillor / Goldfield Esperance Zone President’s Report
Mayor Ron Yuryevich, AM RFD
No report
4.2 WALGA Status Report (Attachment)
From Executive Officer
BACKGROUND:
Presenting the Status Report for November 2014 which contains WALGA’s responses to the resolutions of previous Meetings
GVROC COMMENT:
This is an opportunity for Member Councils to consider the response from WALGA in respect to the matters that were submitted at the previous Meeting.
RECOMMENDATION:
That the Goldfields Voluntary Regional Organisation of Councils notes the:
1. State Councillor / Goldfield Esperance Zone President’s Report; and
2. WALGA Status Report.
RESOLUTION: Moved: Cr Harris Seconded: Cr Cullen
That the Goldfields Voluntary Regional Organisation of Councils notes the:
1. State Councillor / Goldfield Esperance Zone President’s Report; and
2. WALGA Status Report.
CARRIED
4.3 Review of WALGA State Council Agenda - Matters for Decision
From Executive Officer
Background:
WALGA State Council meets five times each year and as part of the consultation process with Member Councils circulates the State Council Agenda for input through the Zone structure.
The Zone is able to provide comment or submit an alternate recommendation that is then presented to the State Council for consideration.
5.1 Metropolitan Local Government Reform (05-034-01-0018 TL)
WALGA Recommendation
That WALGA advocate to the Minister for Local Government for:
1. In relation to funding:
a. An additional allocation of $80m to fund the implementation of Metropolitan Local Government reform, in accordance with WALGA’s Budget Submission;
b. The condensation of the $15m funding package from three years into two years, being $5m in 2014-15 and $10m in 2015-16; and
c. A review of grant funding guidelines to include directly attributable reform costs, such as redundancy payments.
2. The opportunity for Local Implementation Committees of amalgamating Local Governments to submit ward review proposals to the Local Government Advisory Board prior to their 1 July 2015 commencement; and
3. Clarity regarding:
a. The timing and content of the proposed City of Perth Act; and
b. The timing of the proposed City of Riversea amalgamation.
ZONE COMMENT:
GVROC support WALGA Recommendation.
5.2 Poll Provisions Policy Position (05-034-01-0018 TL)
WALGA Recommendation
That WALGA adopt, and advocate for, a policy position in relation to the poll provisions that Schedule 2.1 of the Local Government Act 1995 should be amended so that the electors of a Local Government affected by a boundary change or amalgamation proposal are entitled to petition the Minister for a binding poll.
ZONE COMMENT:
GVROC support WALGA Recommendation.
5.3 State Budget Submission 2015-16 (05-088-03-0001 PS)
WALGA Recommendation
That the Association’s State Budget Submission 2015-16 be endorsed.
ZONE COMMENT:
GVROC support WALGA Recommendation.
5.4 Interim Submission to the Electricity Market Review (05-042-02-0001 PS)
WALGA Recommendation
That the Association’s interim submission to the State Government’s Electricity Market Review be endorsed.
ZONE COMMENT:
GVROC support WALGA Recommendation.
5.5 Western Australia’s GST Revenue (05-096-03-0001 PS)
WALGA Recommendation
That the Association advocate to the Federal Government for Western Australia to receive a greater share of GST revenue.
ZONE COMMENT:
It is noted in the “In Brief” comment for this item that “The Association has been asked by some Local Governments to raise the issue of WA’s declining GST share with Federal Members of Parliament”.
Whilst there is no doubt Western Australians generally support equity in the distribution of the GST between the states it is questionable that this is an issue that WALGA should be spending its time on when there are many other issues more directly related to local government that could use the time required to research and present this item.
5.6 A Review of Road Safety Governance in Western Australia (05-009-03-0044 ID)
WALGA Recommendation
That State Council endorse the WALGA Interim Submission for the report titled A Review of Road Safety Governance in Western Australia.
ZONE COMMENT:
GVROC support WALGA Recommendation.
5.7 Submission on the Review of Regulated Regular Public Transport Air Routes in Western Australia (05-003-02-0005 MM)
WALGA Recommendation
That State Council endorse the interim submission to the Department of Transport on the ‘Review of Regulated Regular Public Transport Air Routes in Western Australia’.
ZONE COMMENT:
GVROC support WALGA Recommendation.
MEETING COMMENT:
Mr Epis noted that the Shire of Leonora did not support deregulation of air routes. The Shire was advocating for the status quo, that the retention of regulation to ensure that the Shire’s residents had access to air travel.
Mr Deckert advised that the Shire of Laverton was also happy for the status quo to remain in place.
Cr Harris observed that the Shire of Wiluna was still working on obtaining a service. The Shire is awaiting a response from the Department of Transport.
Mayor Yuryevich undertook to make comment on each of the above Councils’ views on this matter.
The Shire of Esperance reported that it had made a submission to the Department of Transport arguing for its routes to remain regulated. Mayor Yuryevich requested from the Shire a copy of its submission.
5.8 Interim Submission to the Productivity Commission - Natural Disaster Funding Arrangement (05-024-03-0033 AH)
WALGA Recommendation
That the submission on the Productivity Commission’s Draft Report on Natural Disaster Funding Arrangements be endorsed.
ZONE COMMENT:
GVROC support WALGA Recommendation.
The Executive Officer advised the meeting that the Great Eastern Country Zone had expressed some concerns at changes being recommended that would increase the thresholds in the Natural Disaster Relief and Recovery Arrangements (NDRRA). Currently one of the fundamental elements of the NDRRA is that the Australian Government provides assistance if cumulative state expenditure (on events meeting the small disaster criterion of $240,000) exceeds a certain threshold in a financial year.
The Productivity Commission is proposing to increase the small disaster criterion threshold to $2 million and to also adjust the level of reimbursement to the State. It is felt by the Productivity Commission that the $240,000 small disaster criterion is too low as it captures small, routine events that are unlikely to cause “serious disruption to a community or region”.
RESOLUTION: Moved: Cr Cullen Seconded: Cr Harris
That the submission on the Productivity Commission’s Draft Report on Natural Disaster Funding Arrangements be endorsed subject to WALGA’s response to Draft Recommendation 3.1 being amended to oppose the proposed increase in the small disaster criterion from $240,000 to $2m and any increase in the annual expenditure threshold.
CARRIED
5.9 Interim Submission: Planning and Development (Bushfire Risk Management) Regulations 2014 (05-024-02-0056 CG)
WALGA Recommendation
That the submission to the WA Planning Commission regarding the Planning and Development (Bushfire Risk Management) Regulations 2014 be endorsed.
ZONE COMMENT:
GVROC support WALGA Recommendation.
5.10 Interim Submission: Inquiry Into Mental Health Impacts of FIFO Work Arrangements (05-058-04-0004 CF)
WALGA Recommendation
That the Association’s interim submission in response to Education and Health Standing Committee Inquiry into Mental Health Impacts of FIFO Work Arrangements be endorsed.
ZONE COMMENT:
GVROC support WALGA Recommendation.
5.11 Consultation Paper – Proposal for Caravan Parks and Camping Grounds Legislation – WALGA Submission (05-018-02-0002 JH)
WALGA Recommendation
That State Council endorses the Association’s submission on the Department of Local Government and Communities’ Consultation Paper – Proposal for Caravan Parks and Camping Grounds Legislation.
ZONE COMMENT:
GVROC support WALGA Recommendation.
Mr Deckert advised that the Shire of Laverton had concerns regarding the definition of “camping” believing it to be too narrow. These concerns had been raised with the Department of Local Government and Communities.
Ricky Burges advised that further consultation is expected once all the submissions have been collated by the Department of Local Government and Communities.
5.12 Planning Makes it Happen: Phase Two: Blueprint for Planning Reform (05-036-03-0037 VJ)
WALGA Recommendation
That State Council advise the Minister for Planning and the WA Planning Commission, in regard to the Planning Makes it Happen: Phase Two: Blueprint for Planning Reform, that:
1. Prior to the review of delegation arrangements under the Metropolitan Region Scheme from the WAPC, the Local Government sector should be consulted and all delegation arrangements agreed to;
2. Further discussion is required on the WAPC being the single point of determination of all structure plans during the consultation on the Model Scheme Text and/or General Provisions for Local Planning Schemes Regulations;
3. A commitment is sought to ensure that Local Government will be consulted in the review of delegation arrangements for structure planning delegations;
4. The Local Government sector does not support full Private Certification of Planning Applications, however, if cost benefit analysis is undertaken by the Department of Planning, WALGA and Local Governments must be included in the consultation process;
5. A Guide to Planning Delegations: Development applications is currently being finalised and will be discussed with the Department of Planning and Department of Local Government and Communities to address the reform measure on Local Government planning delegations; and
6. The Department of Planning must be adequately resourced in order to cope with the increase in workload that will result if all of the reform measures are pursued by the WAPC.
ZONE COMMENT:
GVROC support WALGA Recommendation.
5.13 Local Government proposal for new 'Application for Compliance' (05-015-02-0002VJ)
WALGA Recommendation
That the Department of Planning and Building Commission be requested to establish a Working Group with WALGA and Local Government representatives to:
· oversee the development of regulations to introduce a new 'Application for Compliance' as part of the Building Permit process, to ensure that building plans are compliant with State Planning Policy 3.1 - Residential Design Codes and/or Local Development Plans endorsed through the Structure Planning Process and/or any other adopted policy of Council; and
· determine an appropriate fee (based on a cost recovery methodology) for this service.
ZONE COMMENT:
GVROC support WALGA Recommendation.
5.14 Amendment to State Planning Policy 3.1 – Residential Design Codes – Multiple Dwellings, Parking and Other Incidental Changes (05-015-02-0002 VJ)
WALGA Recommendation
That the interim submission to the WA Planning Commission on the proposed amendments to State Planning Policy 3.1 (Residential Design Codes) for multiple dwellings, parking and other incidental changes be endorsed.
ZONE COMMENT:
GVROC support WALGA Recommendation.
5.15 Termination of the Heritage Loan Subsidy Scheme (06-014-01-0001 JH)
WALGA Recommendation
State Council supports the cessation of the Heritage Loan Subsidy Scheme due to lack of take up by property owners and endorses the CEO's of WALGA and the Heritage Council of Western Australia undertaking the legal and administrative tasks necessary to financially acquit Scheme funds.
ZONE COMMENT:
GVROC support WALGA Recommendation.
5.16 Interim Submission: Draft State Planning Policy 2.3 Jandakot Ground Water Protection Policy & Water Quality Protection Note No. 25 (05-036-03-0028 CG)
WALGA Recommendation
That the submission to the WA Planning Commission and the Department of Water on draft State Planning Policy 2.3 - Jandakot Ground Water Protection Policy and Water Quality Protection Note No. 25 be endorsed.
ZONE COMMENT:
GVROC support WALGA Recommendation.
5.17 Interim Submission to the Competition Policy Review Draft Report (05-100-03-0001 PS)
WALGA Recommendation
That the Association’s interim submission in response to the Competition Policy Review Draft Report be endorsed.
ZONE COMMENT:
GVROC support WALGA Recommendation.
RECOMMENDATION:
That the Goldfields Voluntary Regional Organisation of Councils endorses all recommendations contained in the WALGA State Council Agenda other than those recommendations separately considered.
RESOLUTION: Moved: Mr Epis Seconded: Cr Harris
That the Goldfields Voluntary Regional Organisation of Councils endorses all recommendations contained in the WALGA State Council Agenda other than those recommendations separately considered.
CARRIED
4.4 Review of WALGA State Council Agenda - Matters for Noting/Information
6.1 Reform of the Federation (04-001-02-0001 WFS)
6.2 Report Municipal Waste Advisory Council (MWAC) (01-006-03-0008 RNB)
4.5 Review of WALGA State Council Agenda - Organisational Reports
7.1 Key Activity Reports
7.1.1 Report on Key Activities, Environment and Waste Unit (01-006-03-0017 MJB)
7.1.2 Report on Key Activities, Governance and Strategy (01-006-03-0007 TB)
7.1.3 Report on Key Activities, Infrastructure (05-001-02-0003 ID)
7.1.4 Report on Key Activities, Planning and Community Development (01-006-03-0014 AH)
4.6 Review of WALGA State Council Agenda - Policy Forum Reports
7.2 Policy Forum Reports
7.2.1 Metropolitan Reform Implementation Policy Forum
7.2.2 Country Reform Policy Forum
Cr Goldfinch advised that the last meeting of the Country Reform Policy Forum had been postponed. A meeting has been scheduled for February 2015.
Cr Goldfinch expressed concern at the direction the Forum was taken as in his view the policies being considered focussed too heavily on amalgamation. As a matter of urgency he believed the GVROC should put together a policy that expressed the view of its Member Councils.
Consideration was given to holding discussion on this matter at the GVROC Meeting to be held in Esperance on Friday 30 January 2015.
RESOLUTION: Moved: Cr Goldfinch Seconded: Cr Cullen
That GVROC:
1. That the matter of country local government reform be listed for discussion at the GVROC Council meeting scheduled to be held in Esperance on Friday 31 January 2015; and
2. Invite the Minister for Local Government to the GVROC Council Meeting scheduled to be held in Esperance on Friday 30 January 2015.
CARRIED
7.2.3 Mining Community Policy Forum
Mayor Yuryevich advised that the last meeting of the Mining Community Policy Forum had been postponed with a new meeting date still to be set.
Member Councils considered whether the Minister for Mines should be invited to the GVROC Council Meeting scheduled for Friday 30 January 2015.
RESOLUTION: Moved: Cr Harris Seconded: Cr Cullen
That the Minister for Mines be invited to the GVROC Council Meetings scheduled to be held in Esperance on Friday 30 January 2015.
CARRIED
7.2.4 Container Deposit Legislation Policy Forum
7.2.5 Metropolitan Mayors Policy Forum
4.7 WALGA President’s Report (Attachment)
Presenting the WALGA President’s Report
RECOMMENDATION:
That the Goldfields Voluntary Regional Organisation of Councils notes the:
1. following reports contained in the WALGA State Council Agenda;
§ Matters for noting/Information;
§ Organisational reports;
§ Policy Forum reports; and
2. WALGA President’s Report.
RESOLUTION: Moved: Cr Cullen Seconded: Cr Heasman
That the Goldfields Voluntary Regional Organisation of Councils notes the:
1. following reports contained in the WALGA State Council Agenda;
§ Matters for noting/Information;
§ Organisational reports;
§ Policy Forum reports; and
2. WALGA President’s Report.
CARRIED
5 AGENCY REPORTS
5.1 Department of Local Government and Communities (Attachment)
The Executive Officer has been advised that the Department of Local Government and Communities (the Department) no longer produces the Director General’s Report. The Department, however, has provided the October edition of its Connect e-newsletter as an interim agenda item. A copy of this forms an attachment to the meeting agenda.
RECOMMENDATION:
That the October edition Department of Local Government and Communities e-newsletter Connect be received.
RESOLUTION: Moved: Cr Harris Seconded: Cr Goldfinch
That the October edition Department of Local Government and Communities e-newsletter Connect be received.
CARRIED
6. OTHER BUSINESS
6.1 Country Local Government Reform
Cr Goldfinch reported on the work of the Country Reform Policy Forum. For consistency of reporting this matter has been recorded under Item 7.2.2.
6.2 WALGA Presidency
Mayor Yuryevich advised that he had received details of a motion considered by the South East Metropolitan Zone at its meeting on Wednesday 26 November 2014. The matter has been referred to GVROC for its consideration.
The Executive Officer advised that both the Central Country and Great Eastern Country Zones had received similar requests for the matter to be considered as part of their meeting agendas.
The motion from the South East Metropolitan Zone was as follows:
1. That the South East Metropolitan Zone extend congratulations to Mayor Troy Pickard on his appointment to the ALGA Presidency.
2. The issue of the dual role of WALGA Presidency and ALGA Presidency be considered as an Emerging Issue item at the State Council meeting.
Member Councils considered the request.
RESOLUTION: Moved: Cr Harris Seconded: Cr Goldfinch
1. That the Goldfields Voluntary Regional Organisation of Councils extend congratulations to Mayor Troy Pickard on his appointment to the ALGA Presidency.
2. The issue of the dual role of WALGA Presidency and ALGA Presidency be considered as an Emerging Issue item at the State Council meeting.
CARRIED
7. URGENT BUSINESS as permitted by the Chair
Nil
8. DATE, TIME AND PLACE OF NEXT MEETINGS
An in-person meeting of the GVROC Council is to be held in Esperance on Friday 30 January 2015
9. CLOSURE
There being no further business the Chair declared the meeting closed at 9.20am
DECLARATION
These minutes were confirmed by the Goldfields Voluntary Regional Organisation of Councils at the meeting held 31 January 2015
Signed _______________________________
Person presiding at the meeting at which these minutes were confirmed
24 February 2015 Page 313
13. Reports Of Committees
14. Motions of which Notice has been Given
15. MEMBERS QUESTIONS WITH OR WITHOUT NOTICE
16. URGENT BUSINESS APPROVED BY DECISION
17. MATTERS BEHIND CLOSED DOORS
Officer’s Comment:
It is recommended that the meeting is behind closed doors for the following items, in accordance with section 5.23(2) of the Local Government Act 1995.
Proposed Sale of Shire Property - Lot 340 (6) Adelaide Close, West Beach
Confidential Item
This report is considered confidential in accordance with the Local Government Act 1995, as it relates to a matter that if disclosed, would reveal information that has a commercial value to a person, where the information is held by, or is about, a person other than the local government (Section 5.23(2)(e)(ii)).
Risk Review
Confidential Item
This report is considered confidential in accordance with the Local Government Act 1995, as it relates to a matter that if disclosed, could be reasonably expected to endanger the security of the local government's property (Section 5.23(2)(f)(ii)).
Waste Management Facility Site Selection Study
Confidential Item
This report is considered confidential in accordance with the Local Government Act 1995, as it relates to a matter that if disclosed, would reveal information about the business, professional, commercial or financial affairs of a person, where the information is held by, or is about, a person other than the local government (Section 5.23(2)(e)(iii)).
18. PUBLIC QUESTION TIME
19. CLOSURE